-
Ngập lụt ở Cao Bằng, Thái Nguyên, Lạng Sơn, Bắc Ninh kéo dài đến khi nào?
-
Vụ án Mr Pips: Thu giữ 2,3 triệu USD, 890 miếng vàng SJC, 246 kg vàng
-
Trước khi vướng lùm xùm tiền ảo AntEx, Nexttech Group của Shark Bình đã đột ngột giảm vốn từ 500 xuống còn 4 tỷ đồng; Ngân Lượng cũng giảm 85% vốn
-
Công an xác minh clip tàu hỏa húc văng bàn ghế ở phố cà phê đường tàu Hà Nội
-
Cháy nhà ở Lâm Đồng khiến 2 vợ chồng thiệt mạng: Thông tin mới nhất
-
Khoảnh khắc thót tim cứu hai ông cháu 18 tiếng cầm cự trên mái nhà giữa lũ dữ
-
Thái Nguyên và những giọt nước mắt trong lũ dữ: "Con cháu tôi 3 ngày nay không có cơm"
-
Cả nước bật “chế độ cứu trợ khẩn cấp” hướng về Thái Nguyên
-
Chỉ cần giải quyết vấn đề này, người Hà Nội không còn phải bì bõm lội nước
-
Hỗ trợ khẩn cấp 140 tỷ cho 4 tỉnh khắc phục hậu quả mưa lũ, Thái Nguyên mức cao nhất 50 tỷ
Pháp luật
24/11/2021 15:00Tài sản thi hành án của cựu tử tù Liên Khui Thìn: 3 ha đất vàng bán với giá… bồi thường đất nông nghiệp

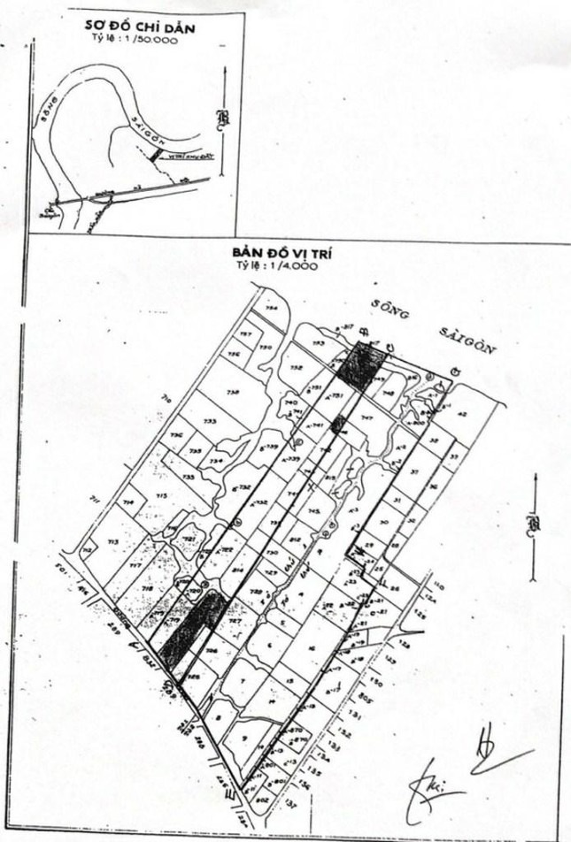
Trước khi thành lập Công ty TNHH Epco (tháng 8/1992), ông Liên Khui Thìn với danh nghĩa là giám đốc Công ty liên doanh sản xuất, chế biến hàng xuất khẩu Quận 3 (tiền thân của công ty Epco) đã đầu tư một số dự án bất động sản tại huyện Thủ Đức cũ, trong đó có lô đất dự án quy mô 3 ha tại phường Thảo Điền vào năm 1991.
Theo điều tra của Tiền Phong, tháng 3/1991, UBND TPHCM đã có văn bản số 1106/UB-XD chấp thuận dự án xây dựng khu nhà ở cao cấp tại lô đất 10 ha tại xã An Phú (huyện Thủ Đức cũ).
Trên cơ sở đó, Chủ tịch UBND huyện Thủ Đức đã ký hợp đồng chuyển nhượng 10 ha đất tại xã An Phú (nay thuộc phường Thảo Điền, TP Thủ Đức) cho 3 công ty là Công ty FIDECO, Công ty vật liệu và xây dựng nhà (Sở Nhà đất TPHCM), và Công ty liên doanh sản xuất, chế biến hàng xuất khẩu Quận 3.
Ngày 29/6/2021 Cơ quan Cảnh sát điều tra Bộ Công an đã có văn bản thông báo về việc khởi tố vụ án và có ngăn chặn giao dịch, chuyển nhượng đối với 3 lô đất, trong đó có lô đất vàng 3 ha tại phường Thảo Điền (TP Thủ Đức).
Từ tháng 9/1991, 10 ha đất dự án nói trên chỉ còn thuộc sở hữu của 2 doanh nghiệp là công ty FIDECO (70%) và Công ty Liên doanh sản xuất, chế biến hàng xuất khẩu Quận 3 - sau này là công ty Epco (30%) do công ty Vật liệu và xây dựng nhà rút lui, chuyển nhượng phần hùn cho Công ty FIDECO.
Hai đối tác tiến hành san lấp toàn bộ khu đất theo ranh giới Sở Địa chính TPHCM đã đo đạc và lập bản đồ, sau đó thỏa thuận phân chia mặt bằng theo tỷ lệ: Công ty FIDECO sử dụng 72.537 m2, Công ty Epco: 31.087 m2.

Tại thời điểm ấy, chi phí đầu tư thực tế trên lô đất của công ty Epco là 11,1 tỷ đồng, trong đó chi phí theo hợp đồng chuyển nhượng là 900 triệu đồng, chi phí san lấp 2,1 tỷ đồng và chi hỗ trợ di dời là 9 tỷ đồng để khuyến khích người dân sớm bàn giao đất.
Vụ án Epco – Minh Phụng nổ ra. Tại hai phiên tòa sơ thẩm và phúc thẩm, ông Liên Khui Thìn đã khai trình toàn bộ các khoản đầu tư trên lô đất này. Bản án hình sự phúc thẩm số 05/HSPT ngày 12/1/2000 đã tuyên giao công ty Epco thu hồi khoản tiền đầu tư của ông Liên Khui Thìn trên các lô đất chưa đưa vào thế chấp để trả cho Ngân hàng ICBV-HCMC.
Trớ trêu là, sau khi vụ án khép lại, công ty Epco không còn đại diện pháp luật vì cả Chủ tịch HĐQT Nguyễn Tuấn Phúc và giám đốc công ty Epco Liên Khui Thìn đều bị bắt và chấp hành án tù, không uỷ quyền quản lý điều hành Công ty Epco cho cá nhân khác. Lợi dụng tình hình đó, ông N.L.R từ một người làm thuê cho Công ty Epco đã tự đứng ra thực hiện việc “thu hồi khoản tiền đầu tư của ông Thìn để thi hành án”.

Thông báo của Bộ Công an yêu cầu ngăn chặn giao dịch, chuyển nhượng các lô đất thi hành án, trong đó có khu đất 3 ha ở phường Thảo Điền
Ông N.L.R không phải đại diện pháp luật của công ty Epco, không phải đại diện ủy quyền của các cổ đông trong công ty cũng như không được ông Liên Khui Thìn ủy quyền nhưng vẫn thực hiện các hợp đồng mua bán, chuyển nhượng nhiều khu đất, tài sản thi hành án, trong đó có lô đất vàng 3 ha.
Cụ thể, ngày 6/5/2003, ông N.L.R đã ký hợp đồng chuyển nhượng khu đất trên cho công ty TNHH VT với giá thoả thuận là 21 tỷ đồng. Bất ngờ là, hơn một năm sau, lô đất vàng này không sang nhượng cho công ty VT mà được ông N.L.R bán cho một cá nhân là ông V.Đ.Đ với giá tính theo…đơn giá bồi thường hỗ trợ đất nông nghiệp của nhà nước để thu về số tiền chỉ hơn 4,1 tỷ đồng, thấp hơn 5 lần so với giá chuyển nhượng đã thoả thuận với công ty VT.
Điều đáng nói, tại thời điểm lô đất 3 ha được chuyển nhượng cho ông V.Đ.Đ (theo hợp đồng ký kết vào ngày 16/11/2004 ), khu đất của công ty FIDECO ở vị trí liền kề được giao dịch, chuyển nhượng với giá từ 10-15 triệu đồng/m2.

Giấy chứng nhận đăng ký kinh doanh và con dấu của công ty Epco không còn giá trị nhưng vẫn được sử dụng trên các hợp đồng chuyển nhượng
Ông V.Đ.Đ là ai mà được ưu ái như vậy? Theo điều tra của Tiền Phong, ông V.Đ.Đ chính là giám đốc công ty TNHH VT. Và, công ty TNHH VT đặt trụ sở tại toà nhà văn phòng khách sạn của công ty Epco trên đường Cách Mạng Tháng Tám (quận 3) từ năm 2000.
Theo Sở Kế hoạch và Đầu tư TPHCM, giấy chứng nhận đăng ký kinh doanh và con dấu của công ty Epco không còn giá trị từ sau ngày 30/6/1997. Tuy nhiên, ông N.L.R vẫn xưng danh…giám đốc và đóng dấu công ty Epco trên các hợp đồng chuyển nhượng quyền sử dụng đất.
Thường trực Ban Chỉ đạo thi hành án phần tài sản vụ án Epco-Minh Phụng đã kiến nghị Thủ tướng giao UBND TPHCM kiểm điểm, xử lý sai phạm của UBND quận 2 trong việc cấp giấy chứng nhận quyền sử dụng đất cho các cá nhân và có hình thức kỷ luật thích đáng đối với các cán bộ thực hiện tuỳ tiện, không tuân thủ các quy định pháp luật về quản lý đất đai.
Ngoài ra, 3 ha nói trên là đất dự án, theo quy định thì chỉ được phép chuyển nhượng cho các tổ chức có pháp nhân. Tuy nhiên, UBND Quận 2 vẫn cấp giấy chứng nhận quyền sử dụng đất cho ông V.Đ.Đ vào năm 2006.
Theo Thường trực Ban Chỉ đạo thi hành án phần tài sản vụ án Epco-Minh Phụng, việc chuyển nhượng quyền sử dụng 2 lô đất 5.000 m2 và 3 ha tại phường Thảo Điền có dấu hiệu “vi phạm các quy định về sử dụng đất đai”; nội dung hình thức hợp đồng trái pháp luật, giá chuyển nhượng thấp hơn giá thị trường nhiều lần, có nhiều dấu hiện bất minh, gây thiệt hại cho nhà nước...
Ngày 26/1/2007, Văn phòng Chính phủ đã có văn bản số 538/VPCP-V1 truyền đạt ý kiến chỉ đạo của Thủ tướng Chính phủ. Theo đó, Thủ tướng đồng ý với báo cáo và kiến nghị của Thường trực Ban Chỉ đạo thi hành phần tài sản vụ án Epco –Minh Phụng và yêu cầu chuyển hồ sơ tài liệu liên quan việc chuyển nhượng lô đất trên đến cơ quan điều tra có thẩm quyền để xem xét xử lý theo quy định của pháp luật.
Theo Huy Thịnh (Tiền Phong)








- Ngập lụt ở Cao Bằng, Thái Nguyên, Lạng Sơn, Bắc Ninh kéo dài đến khi nào? (08/10/25 23:20)
- Vụ án Mr Pips: Thu giữ 2,3 triệu USD, 890 miếng vàng SJC, 246 kg vàng (08/10/25 23:04)
- Chị dâu ly hôn, đến ngày chị ấy dọn ra khỏi nhà tôi mới biết chồng mình không hề đơn giản (08/10/25 22:57)
- Xử lý người đưa tin trên Tiktok xuyên tạc vụ thảm án Đồng Nai (08/10/25 22:45)
- Trước khi vướng lùm xùm tiền ảo AntEx, Nexttech Group của Shark Bình đã đột ngột giảm vốn từ 500 xuống còn 4 tỷ đồng; Ngân Lượng cũng giảm 85% vốn (08/10/25 22:21)
- Cảnh tượng "nghẹt thở" sau Tết đoàn viên (08/10/25 22:15)
- HLV Kim Sang-sik nói thẳng về bê bối của ĐT Malaysia, nêu ra điều cực kỳ quan trọng cho ĐT Việt Nam (08/10/25 22:00)
- Công an xác minh clip tàu hỏa húc văng bàn ghế ở phố cà phê đường tàu Hà Nội (08/10/25 21:40)
- Cháy nhà ở Lâm Đồng khiến 2 vợ chồng thiệt mạng: Thông tin mới nhất (08/10/25 21:20)
- Đám cưới Selena Gomez lộ vật thể đáng ngờ phải giấu vội khi bị quay đến (08/10/25 21:12)




