Lời khai của người phụ nữ lái xe tốc độ...
Vụ học viên cai nghiện tấn công cán bộ rồi...
Nhóm nữ nổi tiếng cover hit của Phương Mỹ Chi...
Nghi phạm sát hại 3 người ở Đồng Nai bị...
Triệu Vy bị tố dính líu đến vụ nam diễn...
Ùn tắc "ngộp thở" ở TPHCM: Nghìn người "chôn chân",...
CĐV bắt chuột ở Old Trafford
Chuỗi hành động kỳ lạ của ông Trump
Bất ngờ 'nhân vật đặc biệt' khiến đại gia phải...
"Mệt mỏi vô cùng" giữa dòng xe kẹt sáng đầu...
Lời khai của người phụ nữ lái xe tốc độ...
Vụ học viên cai nghiện tấn công cán bộ rồi...
Nhóm nữ nổi tiếng cover hit của Phương Mỹ Chi...
Nghi phạm sát hại 3 người ở Đồng Nai bị...
Triệu Vy bị tố dính líu đến vụ nam diễn...
Ùn tắc "ngộp thở" ở TPHCM: Nghìn người "chôn chân",...
CĐV bắt chuột ở Old Trafford
Chuỗi hành động kỳ lạ của ông Trump
Bất ngờ 'nhân vật đặc biệt' khiến đại gia phải...
"Mệt mỏi vô cùng" giữa dòng xe kẹt sáng đầu...
Tin mới
áp thấp nhiêt đới
Trang 1
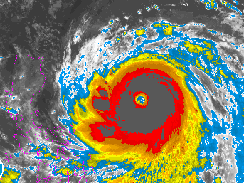
Áp thấp nhiệt đới mới xuất hiện ở biển Đông
Có đường đi khá giống áp thấp nhiệt đới vừa tan, áp thấp nhiệt đới mới được dự báo sẽ mạnh lên thành bão.
01/01/2019 01:23:00

Áp thấp trên Biển Đông liên tiếp "nâng cấp" lên áp thấp nhiệt đới rồi bão
Áp thấp ở nam Biển Đông di chuyển theo hướng Tây Tây Nam, tiến gần hơn vùng biển Nam Bộ và khả năng tiếp tục mạnh lên thành áp thấp nhiệt đới và bão.
31/12/2018 18:00:26

Áp thấp nhiệt đới lệch xuống phía nam khi vào Biển Đông
Trong 24 giờ tới, áp thấp nhiệt đới tiến vào Biển Đông với hướng đi dự báo lệch xuống phía nam Biển Đông.
30/12/2018 18:18:00

Áp thấp mạnh lên thành bão, hướng về phía Nam Bộ
Áp thấp nhiệt đới đang di chuyển với tốc độ rất nhanh, từ 25-30 km/giờ, có khả năng mạnh lên thành bão, hướng về phía khu vực Nam Bộ.
29/12/2018 21:33:18

Mưa lũ gây chia cắt nhiều xã ở Phú Yên
Do ảnh hưởng của không khí lạnh kết hợp với rãnh gió Tây trên cao, mưa lớn kéo dài khiến mực nước trên các sông, suối dâng cao gây chia cắt ba xã ở huyện Tuy An, Phú Yên.
29/12/2018 17:13:53

Áp thấp nhiệt đới tăng tốc, tiến gần bờ biển Philippines
Sáng 28/12, sau khi tiến gần bờ biển miền Trung Philippines, áp thấp nhiệt đới di chuyển theo hướng tây với vận tốc tăng lên là 20 km/h (trước đó là 15-20 km/h).
28/12/2018 17:43:48

Kịch bản áp thấp nhiệt đới mạnh lên thành bão dịp Tết Dương lịch
Chuyên gia khí tượng nhận định áp thấp nhiệt đới có thể mạnh lên thành bão sau khi vào Biển Đông. Kết hợp với không khí lạnh rất mạnh ở phía bắc, bão sẽ mạnh lên và chuyển hướng.
28/12/2018 16:40:36

Áp thấp có khả năng mạnh lên thành bão, hướng vào Nam Bộ
Một áp thấp nhiệt đới cách bờ biển miền Trung Philippines khoảng 370 km về phía Đông Đông Nam, có khả năng mạnh lên thành bão đang di chuyển nhanh và hướng vào khu vực Nam Bộ nước ta.
28/12/2018 01:21:18

Áp thấp gần Biển Đông, khả năng mạnh lên thành bão
Trong 48 đến 72 giờ tiếp theo, áp thấp nhiệt đới (ATNĐ) di chuyển theo hướng Tây, mỗi giờ đi được 20-25km, đi vào Biển Đông sau đó có khả năng mạnh lên thành bão.
27/12/2018 18:00:29

Bão số 9 càng ngày càng mạnh lên, mưa lớn khắp nơi
Dự báo, bão số 9 khi càng vào bờ thì đi chậm lại và càng mạnh lên, gây mưa lớn khắp khu vực Nam Trung Bộ, Tây Nguyên...
22/11/2018 22:24:00

Áp thấp nhiệt đới sẽ mạnh thành bão, Nam Trung Bộ mưa lớn
Hôm nay, áp thấp nhiệt đới trên Biển Đông dự báo mạnh lên thành bão có cấp 8-9 (60-90 km/h), mạnh cấp 12.
22/11/2018 21:37:28

Dự báo thời tiết 20/11: Áp thấp thành bão gần Biển Đông, liên tục tăng cấp
Trong 24 đến 48 giờ tới, dự báo bão di chuyển theo hướng Tây Bắc, mỗi giờ đi được khoảng 25km và vào Biển Đông, sau đó có khả năng mạnh thêm.
20/11/2018 12:57:23

Biển Đông sắp đón bão số 9, Nam Trung Bộ đối diện mưa to
Một áp thấp nhiệt đới mới hình thành phía đông nam Philippines dự báo vào biển Đông, có thể mạnh thành bão và di chuyển gần giống với bão số 8 (Toraji) vừa qua.
19/11/2018 21:01:29

Lời kể đau đớn về nạn nhân vụ sạt lở nhiều người chết ở Nha Trang
"Em tôi nằm kẹt cứng dưới tảng bê tông. Thấy em động đậy dưới tấm bê tông mà không cách nào cứu em được", người đàn ông nghẹn ngào.
19/11/2018 03:37:00

Bay quốc tế tới Nha Trang gặp áp thấp nhiệt đới phải hạ cánh xuống TP HCM
Ngày 18-11, do thời tiết xấu ảnh hưởng của áp thấp nhiệt đới suy yếu từ cơn bão số 8 (tên quốc tế là Toraji), nhiều chuyến bay đến và đi từ Nha Trang (Khánh Hòa) bị ảnh hưởng.
19/11/2018 02:43:00

Ngập lụt kinh hoàng ở TP.Nha Trang: Ô tô 'bơi' như tàu ngầm, đồ vật trong nhà chìm trong biển nước
Cơn mưa lớn trút xuống Nha Trang khiến nhiều nơi của thành phố chìm trong biển nước, ảnh hưởng nghiêm trọng đến đời sống của người dân. Những hình ảnh được ghi lại về tình hình ngập lụt, sạt lở nơi đây khiến nhiều người xót xa.
19/11/2018 01:08:46

Nha Trang ngập khắp nơi sau trận mưa lớn, quốc lộ 1 kẹt nhiều giờ
Sau một đêm mưa lớn, nhiều nơi ở TP Nha Trang ngập nặng, có khu vực ngập cả mét. Quốc lộ 1 qua Nha Trang cũng bị ngập.
19/11/2018 00:51:09

Áp thấp nhiệt đới phức tạp, học sinh TP HCM có thể được nghỉ học
Trước diễn biến phức tạp của áp thấp nhiệt đới, ngành giáo dục TP HCM chuẩn bị phương án cho học sinh nghỉ học nếu thời tiết không đảm bảo an toàn.
19/11/2018 00:11:33

Bão số 8 suy yếu thành áp thấp nhiệt đới
Bão số 8 suy yếu thành áp thấp nhiệt đới, gây mưa lớn cho các tỉnh ven biển Nam Trung Bộ, Nam Tây Nguyên và Nam Bộ.
18/11/2018 14:31:17

Bão Toraji hướng vào Nam Bộ
Hướng vào các tỉnh từ Ninh Thuận đến Bà Rịa – Vũng Tàu, bão Toraji được dự báo gây mưa lớn dù Nam Bộ đã vào mùa khô.
18/11/2018 03:28:58
Bài đọc nhiều

Chi tiết cần làm sáng tỏ về hung thủ đã bắn 3 người trong gia đình tử vong ở Đồng Nai

Gia chủ quyết không di dời, từ chối tiền đền bù 29 tỷ đồng, 2 năm chịu cảnh không điện nước, chuyên gia đến xem ngỡ ngàng: “Nhà này không thể phá”

Chiêu của Hoàng Hường sau khi bị bắt

Những chuyến du lịch xa xỉ của Shark Bình và Phương Oanh

Hà Nội ra thông báo mới về việc nghỉ học tránh bão Matmo