-
Tử vi 12 con giáp hôm nay - thứ 4 ngày 8/10/2025: Mùi bấp bênh, Mão làm gì cũng đỏ
-
Người giàu không quét nhà kiểu như bạn: Bí mật phong thuỷ giữ tài khí qua cây chổi
-
Khoảnh khắc cây cầu biến dạng khi dòng lũ đục ngầu cuồn cuộn đổ về ở Cao Bằng
-
Khớp gối biến dạng, tuyến thượng thận bị suy do uống thảo dược mua từ nước ngoài
-
Hà Nội tiếp tục mưa lớn, lũ sông lên nhanh
-
Thu hồi ngay 3 loại dầu gội đầu, dung dịch vệ sinh là hàng giả
-
Cục CSGT nêu khó khăn trong việc xử phạt qua camera AI
-
Hiệu trưởng xin lỗi vì suất ăn 25.000 đồng như 10.000 đồng
-
Hình ảnh mây đen "như muốn sập xuống" ở Hà Nội
-
Vỡ đập thủy điện Bắc Khê 1 ở Lạng Sơn
Thế giới
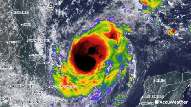
08/10/2024 00:07Bão mới Milton tăng cấp nhanh chóng, 'khủng khiếp' thế nào mà dự báo mạnh thứ 4 trong năm 2024?
Mỹ chuẩn bị hứng siêu bão Milton?
Chưa kịp phục hồi sau bão Helene, bang Florida (Mỹ) chuẩn bị hứng siêu bão Milton. Dự báo góc đổ bộ của bão Milton vào Florida, Mỹ có thể khiến cơn bão mới nhất trở thành cơn bão khủng khiếp nhất 100 năm qua với một số khu vực ở bang này.
Nhiều mô hình dự báo bão dự đoán bão Milton có thể mạnh lên nhanh chóng thành bão cuồng phong cấp 4 và tấn công bờ biển phía tây của bán đảo Florida ngày 9/10.
Đáng nói, đợt đổ bộ của bão Milton diễn ra chưa đầy 2 tuần sau khi bão Helene tấn công thảm khốc khu vực Big Bend của Florida ở cường độ cấp 4.

Theo Washington Post chỉ ra, khả năng xảy ra một cơn bão khác ở Florida đặc biệt đáng lo ngại, nhất là sau bão Helene, cư dân ven biển vẫn đang trong quá trình hồi phục do ảnh hưởng của bão.
Theo dự báo nếu Milton tấn công Florida ở cường độ bão cuồng phong, đây sẽ là bão cuồng phong thứ 5 tấn công vùng duyên hải vịnh Mexico của Mỹ trong mùa bão năm 2024, sau siêu bão Beryl, Debby, Francine và Helene.
Cụ thể, theo Washington Post, có 3 lý do cụ thể để lo ngại về diễn biến bão Milton:
Đầu tiên, dự kiến sẽ có những đợt mưa lớn quét qua bán đảo Florida trước cơn bão chính vào giữa tuần. Điều này khiến mặt đất ngấm nước và tăng nguy cơ lũ lụt, tương tự những gì đã xảy ra ở phía nam Appalachian trước khi bão Helene tấn công.
Thứ hai, các mô hình dự báo cường độ bão đều được điều chỉnh tăng lên. Đầu tuần trước, dự báo cho rằng Milton có thể đổ bộ ở cấp độ bão nhiệt đới yếu, thậm chí không được đặt tên. Nhưng kể từ đó, các chuyên gia về bão đã nâng đáng kể mức trần về cường độ dự kiến của bão Milton.
Thứ ba, nếu bão Milton đổ bộ vào đất liền ở cường độ của bão nhiệt đới vẫn có thể gây các hiện tượng thời tiết nguy hiểm đến một số khu vực tương tự ở bán đảo phía tây Florida vốn đã chịu ảnh hưởng của bão Helene.

Theo VTV, bão Milton hình thành ở phía Tây vịnh Mexico vào sáng 5/10, chỉ vài giờ sau khi trở thành áp thấp nhiệt đới - Trung tâm Bão quốc gia Mỹ cho biết trong một cảnh báo đặc biệt. Cơn bão thứ 13 được đặt tên này sẽ diễn ra sớm hơn dự kiến nhiều tuần, vì nó thường không xảy ra cho đến ngày 25/10. Cơn bão được dự báo sẽ mạnh lên thành siêu bão khi di chuyển về phía bang Florida vào giữa tuần tới.
Dự báo bão Milton dự báo khủng khiếp nhất 100 năm qua ở Florida
Báo Lao Động dẫn nguồn tin bão mới nhất của Fox News, xét đến đường bờ biển đặc biệt của tiểu bang Florida, góc đổ bộ có thể khiến bão Milton trở thành cơn bão tồi tệ nhất trong hơn 100 năm ảnh hưởng tới một số khu vực ở tây, trung Florida.
Đặc biệt khu vực này vốn đã chịu ảnh hưởng liên tiếp của bão, với các tác động từ bão Helene, Debby, Ian và Idalia. Và Trung tâm Dự báo bão của FOX cảnh báo, góc độ đổ bộ trực tiếp của bão Milton khiến tình hình có thể rất tồi tệ.
Dự báo đường đi của bão Milton đi qua hoặc áp sát ngay phía bắc vùng đô thị Tampa-Sarasota. Điều này có nghĩa là lượng nước sẽ tích tụ nhiều hơn đáng kể so với các cơn bão trước đó.

Dù Trung tâm Bão Quốc gia Mỹ và loạt mô hình dự báo bão không nhận định bão Milton sẽ đạt đến cường độ bão cấp 5 nhưng có một số tiền lệ với bão cấp 3 đổ bộ vào phía bắc Tampa năm 1921. Cơn bão Tampa Bay năm 1921 đổ bộ gần Tarpon Springs ở cường độ bão cấp 3 với sức gió khoảng 190 km/h và gây thiệt hại lớn.
Trong hơn 180 năm dữ liệu, Tampa chỉ ghi nhận 2 lần bị bão lớn đổ bộ trực tiếp: Bão cấp 3 năm 1921 và bão cấp 4 năm 1848.
Theo khuyến cáo lúc 14h ngày 6/10 (theo giờ miền Đông) từ Trung tâm Bão quốc gia Mỹ, cơn bão di chuyển với tốc độ gió tối đa là 129 km/h. Vào thời điểm đó, cơn bão cách vịnh Tampa, bang Florida khoảng 1.300 km về phía Tây - Tây Nam. Dự báo sớm cho thấy bão Milton có thể di chuyển qua bang Florida để vào Đại Tây Dương, gây ảnh hưởng mạnh ở các vùng ven biển phía Tây của bang Florida trong ngày 8 hoặc 9/10.
Dự kiến cơn bão sẽ đổ bộ vào vùng duyên hải vịnh Mexico của bang Florida vào ngày 9/10 với sức gió cấp 3 tàn phá và đe dọa tính mạng với sức gió khoảng 193 km/h giữa Cedar Key và Naples, bao gồm toàn bộ khu vực vịnh Tampa. Cảnh báo bão có thể sẽ được ban hành cho một số khu vực bờ biển phía Tây bang Florida vào ngày 6/12, với triều cường nguy hiểm dự kiến sẽ xảy ra ở một số khu vực vừa bị bão Helene tấn công.
Điều đáng nói, trước khi bão Mitlon dự kiến đổ bộ vào giữa tuần này, mùa bão Đại Tây Dương đã có 3 cơn bão mạnh từ cấp 4 trở lên, bao gồm bão Kirk, bão Helene và siêu bão Beryl.
Dự báo khi bão Milton đổ bộ có thể gây ra tình trạng mất điện trên diện rộng, đồng thời cơn bão cũng có khả năng gây ngập lụt.
Dự báo Biển Đông khả năng đón 5 cơn bão trong 3 tháng cuối năm
Viện Khoa học Khí tượng Thủy văn và Biến đổi khí hậu cho biết, ENSO đang ở trạng thái trung tính khi nhiệt độ mặt nước biển khu vực xích đạo và trung tâm Thái Bình Dương từ giữa tháng 8 đến đầu tháng 9 khoảng âm 0,5 độ C.
Dự báo ENSO có khả năng chuyển sang trạng thái La Nina trong ba tháng 10-12 với xác suất 50-70%. Số lượng bão và áp thấp nhiệt đới trên Biển Đông và ảnh hưởng đến Việt Nam xấp xỉ đến cao hơn trung bình nhiều năm, tức 4-5 cơn trên Biển Đông và 2-3 cơn ảnh hưởng đến đất liền Việt Nam.
Theo Trúc Chi (Nguoiduatin.vn)








- Tại sao những trận bão lũ ngày càng nghiêm trọng hơn? (06:45)
- Những chiếc xe từng xuất hiện cùng shark Bình trên MXH: Từ xe thể thao đến siêu sang, có cả MPV độ nội thất kiểu "chủ tịch" (06:38)
- Bài đăng của 1 nữ sinh khiến toàn cõi mạng phẫn nộ: Đây chính xác là đứa trẻ sống trong ảo tưởng và lệch lạc! (06:30)
- Không ai bình chọn cho Yến Nhi (06:26)
- iPhone cũ, hàng tân trang nào đáng mua nhất hiện nay? (06:22)
- Ai giúp FIFA tra gốc gác 7 cầu thủ Malaysia siêu nhanh? (06:18)
- Những tiếng kêu cứu khẩn cấp khi Thái Nguyên bị ngập lụt nặng (06:09)
- Lời khai của bị can đâm người yêu tử vong trên vỉa hè ở TP HCM (06:05)
- NÓNG: FTSE Russell chính thức nâng hạng Việt Nam lên thị trường mới nổi thứ cấp (06:01)
- Tử vi 12 con giáp hôm nay - thứ 4 ngày 8/10/2025: Mùi bấp bênh, Mão làm gì cũng đỏ (06:00)




