-
“Ăn nước bọt với nước rác ngon không?”: Khách sốc vì bài đăng của nhân viên quán nướng Hà Nội sau mâu thuẫn
-
Miền Bắc sắp mưa to đến rất to, 8 tỉnh sau đặc biệt chú ý
-
Trường đại học Y khoa Phạm Ngọc Thạch lên tiếng vụ thí sinh 24 tuổi trúng tuyển tiến sĩ
-
Lốc xoáy đánh chìm nhiều thuyền của ngư dân
-
Doãn Hải My cùng Đoàn Văn Hậu đưa quý tử đi chơi Trung thu, visual "bạch nguyệt quang" gây sốt cõi mạng
-
6 máy bơm hoạt động ngày đêm "giải cứu" xóm ngập cả tuần ở Hà Nội
-
Bạn gái tiết lộ điều ít ai biết về Văn Thanh
-
Vỡ hụi trăm tỷ ở TPHCM: Nhiều người ở khắp các tỉnh, thành kéo về tố cáo
-
"Chảy máu chất xám ngược": Vì sao gần 100 nhà khoa học rời Mỹ về Trung Quốc?
-
Bánh Trung thu ngày Rằm tháng Tám: Dù "ế" nhưng nhiều thương hiệu không giảm giá
Thế giới
02/12/2021 00:44Đã xác định được vị trí chính xác của máy bay MH370?
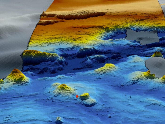
Dựa trên phần mềm Phát hiện và theo dõi mọi máy bay ở bất kỳ nơi nào trên toàn cầu (GDTAAA) và dữ liệu từ hệ thống truyền tín hiệu yếu (WSPR), kỹ sư hàng không người Anh Richard Godfrey tuyên bố đã phát hiện chính xác vị trí của máy bay MH370.
Theo ông Richard Godfrey, máy bay MH370 rơi xuống biển ở vị trí cách TP Perth (Australia) khoảng 1.933km về phía tây, ở tọa độ "33.177°S (nam) 95.300°E (đông)". MH370 được cho là đang nằm ở độ sâu 4.000 mét ở đáy biển.

"Vị trí máy bay rơi nằm ở chân Broken Ridge (cao nguyên đại dương ở đông nam Ấn Độ Dương), trong một khu vực có địa hình hiểm trở. Có các mỏm núi và vách đá, một ngọn núi lửa ngầm và một hẻm núi" - ông Richard Godfrey cho biết trong báo cáo đăng trên trang mh370search.com ngày 30/11.
Kỹ sư hàng không người Anh dự đoán nghiên cứu của ông sẽ giúp tìm thấy máy bay MH370 vào năm 2022.

Ông Godfrey cho rằng, sự kiện máy bay MH370 bị mất tích vào ngày 8/3/2014, khi đang trên đường bay từ Kuala Lumpur (Malaysia) đến Bắc Kinh (Trung Quốc), với 239 người trên máy bay là một vụ tấn công khủng bố do một trong các phi công thực hiện - một giả thuyết đã bị các chuyên gia Australia bác bỏ.
"Đó là một vụ không tặc. Theo quan điểm của tôi, đó là một hành động khủng bố" - ông Godfrey nói. "Nhưng bạn biết đấy, tôi không phải là quan tòa. Và tôi chỉ có thể nói rằng đó là lý thuyết hiện tại của tôi. Tôi vẫn để ngỏ nếu các nhà chức trách muốn tiết lộ thêm thông tin mà họ có thể có".
Năm 2018, Công ty Ocean Infinity (Mỹ) đã mở cuộc tìm kiếm trong phạm vi 112.000km2 trong khoảng thời gian 3 tháng, nhưng không tìm thấy máy bay MH370. Địa điểm mới được nêu trong báo cáo của ông Godfrey cách nơi Ocean Infinity từng tìm kiếm khoảng 28km.
Theo Hà Vy (Saostar.vn)








- Khởi tố cựu Phó Bí thư Tỉnh ủy Đồng Nai Phan Thị Mỹ Thanh về tội ‘Nhận hối lộ" (24 phút trước)
- Bốn người thương vong sau cú va chạm giữa xe ô tô và xe đầu kéo ở Quảng Trị (46 phút trước)
- Đối tượng nghiện game sát hại 3 người ở Đồng Nai: Hé lộ hành động xóa dấu vết tinh vi sau khi nổ súng (56 phút trước)
- Vingroup lập công ty thép VinMetal vốn 10.000 tỷ đồng: Làm thép đặc chủng cho xe điện (1 giờ trước)
- Cận cảnh nơi sắp trở thành nhà hát opera 12.700 tỷ đồng bên Hồ Tây (1 giờ trước)
- Chuyên gia Mỹ bất ngờ cảnh báo: Xác suất AI siêu trí tuệ xóa sổ loài người có thể lên tới 99% (1 giờ trước)
- Vietnam’s Next Top Model 2025: Lộ diện Top 3 bước vào Chung kết, vì sao không có Nàng Mơ? (2 giờ trước)
- “Ăn nước bọt với nước rác ngon không?”: Khách sốc vì bài đăng của nhân viên quán nướng Hà Nội sau mâu thuẫn (2 giờ trước)
- Tập chơi xe phân khối lớn, chọn xe máy 250cc có phù hợp? (2 giờ trước)
- Miền Bắc sắp mưa to đến rất to, 8 tỉnh sau đặc biệt chú ý (2 giờ trước)




