-
Gia chủ quyết không di dời, từ chối tiền đền bù 29 tỷ đồng, 2 năm chịu cảnh không điện nước, chuyên gia đến xem ngỡ ngàng: “Nhà này không thể phá”
-
Hà Nội: Phát hiện thi thể nam giới nằm bất thường ở hiên tầng cao tòa nhà
-
Hà Nội ra thông báo mới về việc nghỉ học tránh bão Matmo
-
Ông Trump ủng hộ đề xuất của ông Putin về hiệp ước kiểm soát vũ khí hạt nhân
-
Ông bà thực sự thương cháu có 3 đặc điểm này, bạn có được bao nhiêu?
-
Chi tiết cần làm sáng tỏ về hung thủ đã bắn 3 người trong gia đình tử vong ở Đồng Nai
-
Rùng mình trước sức tàn phá của bão Matmo: Lũ cuồn cuộn ập vào nhà dân như sóng thần trong vài giây
-
1 điều Cường Đô La chỉ dám làm khi Đàm Thu Trang đã ngủ say
-
Tử vi thứ 2 ngày 6/10/2025 của 12 con giáp: Rằm Trung thu, ai được hưởng phúc lộc dồi dào?
-
CLIP: Những màn khoe của "gây choáng" của Hoàng Hường
Thế giới
20/04/2021 01:10Siêu bão bùng nổ Thái Bình Dương: 5 kỷ lục báo hiệu mùa bão 2021 dữ dội, giới khoa học lo lắng thực sự
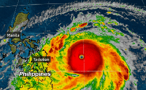
Hiện nay tại lưu vực tây bắc Thái Bình Dương đang xuất hiện một hệ thống bão nhiệt đới rất mạnh. Tên quốc tế của bão này là Surigae.
AccuWeather (Mỹ) nhận định, Surigae là cơn bão đầu tiên của mùa bão 2021 tại lưu vực Thái Bình Dương. Đồng thời, bão Surigae trở thành hệ thống nhiệt đới đầu tiên trong năm 2021 đạt trạng thái siêu bão, theo Trung tâm Cảnh báo Bão Liên hợp Mỹ (JTWC). Thông thường, mỗi năm chứng kiến khoảng 18 cơn bão cấp 4 và 5 trên khắp thế giới.

5 kỷ lục "quái vật" của siêu bão Surigae
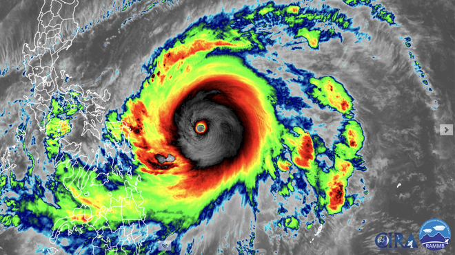
Không chỉ xác lập là siêu bão đầu tiên trên Trái Đất năm 2021, siêu bão Surigae còn thiết lập hàng loạt kỷ lục và sự kiện khiến giới khí tượng ngày càng lo lắng:
- Thứ nhất, đây là một trong những trận cuồng phong đạt trạng thái siêu bão cực nhanh và trong thời gian rất ngắn. Cụ thể, siêu bão Surigae đã tăng cường độ từ cơn bão cấp 1 (theo thang đo bão Đại Tây Dương Saffir-Simpson của phương Tây) vào thứ Sáu 16/4 lên bão "quái vật" cấp 5 trong chưa đầy 24 giờ vào thứ Bảy 17/4, với sức gió duy trì tối đa mạnh khủng khiếp: 305 km/giờ. Chuyên gia nhận định, tốc độ tăng cường sức mạnh đáng kinh ngạc này cao hơn gấp đôi so với tiêu chí cường độ nhanh.

- Thứ hai, cuồng phong Surigae đã lập kỷ lục là xoáy thuận nhiệt đới mạnh nhất trong tháng 4 ở bất kỳ nơi nào ở Bắc bán cầu kể từ khi kỷ nguyên vệ tinh bắt đầu.
- Thứ ba, siêu bão Surigae cũng trở thành xoáy thuận nhiệt đới Bắc Bán cầu đầu tiên đạt áp suất 900 mb trước ngày 1/5, theo Steve Bowen - Nhà khí tượng học & Trưởng phòng Thông tin chi tiết về thảm họa của Mỹ. Surigae cũng là một trong 20 lốc xoáy duy nhất trên thế giới từng đạt vận tốc gió 305 km/giờ.
- Thứ tư, với cường độ khủng khiếp của một siêu bão, Surigae cũng có thể làm rung chuyển các mô hình thời tiết ở xa hạ lưu, bao gồm cả Bắc Mỹ, trong vài tuần tới.
- Thứ năm, báo hiệu mùa bão mạnh hoành hành Thái Bình Dương: Theo các chuyên gia thời tiết, trong bối cảnh nóng lên toàn cầu thì những cơn bão sẽ có cơ hội được nạp nhiên liệu mạnh hơn. Chúng sẽ hút sạch nước biển ấm và khối không khí ẩm để tăng cường sức mạnh.
Các dự báo cho thấy rằng các mùa bão Đại Tây Dương, Thái Bình Dương trong tương lai có thể sẽ xuất hiện tỷ lệ siêu bão cấp 4 và cấp 5 lớn hơn, mặc dù vẫn chưa rõ liệu tổng số lượng bão trong 1 năm có tăng lên hay không.

Hiện nay, siêu bão Surigae đang đi qua phía đông Philippines (cơn bão có tên địa phương là Bising) vào Chủ nhật và đủ gần để gây ra sóng cao nguy hiểm, mưa lớn và gió giật tới các khu vực phía đông và đông bắc của đất nước, bao gồm cả khu vực phía đông Visayas và Bicol.
Trung bình có 20 cơn bão đi qua Philippines mỗi năm. Năm 2013, siêu bão Haiyan (Hải Yến) giết chết hơn 6.300 người, Straitstimes thông tin.
Nước ấm, sâu ở vùng biển của Philippines và không có gió cắt sẽ cho phép Surigae tiếp tục duy trì mức độ tương đương siêu bão. Surigae dự kiến sẽ di chuyển theo hướng Tây Bắc, sau đó chuyển hướng Bắc, rồi Đông Bắc vào tuần này.
"Liệu siêu bão Surigae có tiến vào biển Đông hay không?" đang là câu hỏi khiến nhiều người lo lắng. Các chuyên gia thời tiết sẽ đưa ra những dự báo mới nhất về đường đi của bão Surigae. Mời độc giả theo dõi trong các tin tức tiếp theo.
Theo Trang Ly (Pháp Luật & Bạn Đọc)








- Sếp bự ban trọng tài thừa nhận MU bị xử oan ở trận thua Brentford (09:09)
- Mẹo phòng tránh dị ứng hiệu quả khi thời tiết thay đổi (09:01)
- Gia chủ quyết không di dời, từ chối tiền đền bù 29 tỷ đồng, 2 năm chịu cảnh không điện nước, chuyên gia đến xem ngỡ ngàng: “Nhà này không thể phá” (22 phút trước)
- Đối tượng dùng căn hộ tại chung cư cao cấp D’Capital để kiếm tiền (25 phút trước)
- Hà Nội: Phát hiện thi thể nam giới nằm bất thường ở hiên tầng cao tòa nhà (43 phút trước)
- Những nạn nhân buôn người thành triệu phú livestream ở Trung Quốc (47 phút trước)
- Hà Nội ra thông báo mới về việc nghỉ học tránh bão Matmo (47 phút trước)
- Thị trường chứng khoán Việt Nam trước "giờ G" xét nâng hạng (53 phút trước)
- Ông Trump ủng hộ đề xuất của ông Putin về hiệp ước kiểm soát vũ khí hạt nhân (54 phút trước)
- Ông bà thực sự thương cháu có 3 đặc điểm này, bạn có được bao nhiêu? (58 phút trước)




