-
Nhà chung cư: Bài học ở tầng 27 rồi chuyển xuống tầng 3 - Đừng để “view đẹp” lừa bạn
-
Kịch tính bầu cử: Nhật Bản sắp có nữ thủ tướng đầu tiên hoặc thủ tướng trẻ nhất
-
Những chiếc xe có màn lội nước ấn tượng ở trận ngập lụt Hà Nội
-
Phúc đức 3 đời nếu nhà bạn có 4 dấu hiệu này, con cháu không bao giờ thất bát
-
Đang đứng trên sông, người đàn ông bị điện giật tử vong trước sự bàng hoàng của đám đông
-
Hiện trường kinh hoàng vụ sập gãy hoàn toàn đường dẫn lên cây cầu ở Tuyên Quang
-
Nước ngập sâu "không xe nào sống", chiếc Honda Dream này vẫn bon bon lội: Bí mật nằm ở chiếc ống ruột gà
-
Nghịch lý tại Thái Lan: Giá vàng thật lập kỷ lục, người dân đổ xô mua... vàng giả
-
Tổng thống Putin gửi thông điệp "thư giãn, ngủ ngon" tới phương Tây
-
Ngày càng nhiều người chết vì bệnh thận, bác sĩ chỉ đích danh 4 thói quen "phá thận" hơn uống rượu
Thế giới
27/05/2023 16:05Siêu bão Mawar nhăm nhe ập vào Philippines, Nhật Bản và Trung Quốc
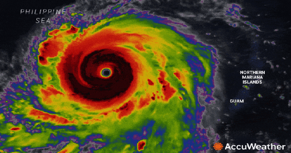
Theo các nhà dự báo của AccuWeather, siêu bão Mawar đã đổ bộ vào đảo Guam - Mỹ với sức gió hủy diệt và những trận mưa lớn vào đầu tuần này. Nó đang tiếp tục di chuyển về phía Tây qua Thái Bình Dương và dự kiến ảnh hưởng đến nhiều vùng đất hơn ở phía Tây Thái Bình Dương và Đông Á trong tuần tới.
Mawar đã tăng cường sức mạnh lên mức siêu bão, ngang cấp độ 5 của bão ở Đại Tây Dương khi di chuyển về phía Philippines. Siêu bão này có thể mạnh hơn nữa và dự kiến đổ bộ Philippines, Nhật Bản và Đài Loan (Trung Quốc) bắt đầu từ ngày 28-5 với lượng mưa lớn hơn và gió mạnh.

"Mawar được dự báo sẽ duy trì sức mạnh, thậm chí mạnh lên một chút, khi nó tiếp tục di chuyển về phía Tây qua biển Philippines vào cuối tuần này" - trưởng nhóm dự báo quốc tế của AccuWeather Jason Nicholls nói.
Tính đến tối 26-5, siêu bão Mawar có tâm bão cách đảo Guam vài trăm km về phía Tây - Tây Bắc, đạt cấp độ 5 trên thang đo Saffir - Simpson (sức gió lên tới hơn 252 km/giờ). Cơ quan Khí tượng Nhật Bản (JMA) cho biết hiện Mawar duy trì sức gió khoảng 194 km/giờ.
Sau đó, Mawar có thể duy trì hoặc giảm nhẹ sức gió khi bắt đầu đổ bộ trở lại vào đất liền, dự kiến mang theo mưa lớn và gió mạnh đến phía Bắc đảo Luzon của Philippines từ tối 28-5 đến ngày 30-5 (giờ địa phương).
"Lượng mưa và sức gió của Mawar ở Philippines sẽ phụ thuộc vào việc siêu bão này tiếp cận gần đến đâu trước khi nó dự kiến chuyển hướng về phía Bắc tới quần đảo Ryukyu của Nhật Bản và phía Đông Đài Loan (Trung Quốc)" - AccuWeather cho biết thêm.
Nhà chức trách Philippines đã yêu cầu đình chỉ các chuyến đi biển, đồng thời cảnh báo các thuyền nhỏ không đánh bắt ngoài khơi.
Theo Phạm Nghĩa (Nld.com.vn)








- Nghe cuộc gọi có nội dung này, hãy tắt máy ngay lập tức (16:12)
- Trương Vinh Hiển "đã không fair-play lại còn thiếu tôn trọng Lý Hoàng Nam" (16:10)
- “Mỹ nam vạn người mê Cbiz” thừa nhận "khuyết tật" tâm lý: Không dám có con vì lý do này! (16:01)
- Chỉ sau một cơn mưa đường TPHCM lại thành 'sông', người và xe đua nhau "bơi" trên phố (28 phút trước)
- Cháy nhà ở Thái Lan, 7 người trong một gia đình tử vong (31 phút trước)
- Những vật dụng không nên cho vào máy sấy quần áo bạn cần phải biết (38 phút trước)
- Malaysia công bố danh sách: Vắng hàng loạt cầu thủ nhập tịch (47 phút trước)
- Video bão Matmo đổ bộ Philippines với gió giật cấp 17, gây mưa lớn, nước dâng (49 phút trước)
- 5 dấu hiệu của một người khó giàu: "Chí mạng" nhất là điều số 3, tiền bạc sa sút không khá lên được (51 phút trước)
- Cầm sổ tiết kiệm của cô vợ nội trợ, tôi mới biết bấy lâu mình mới là kẻ "ăn bám" (54 phút trước)




