- 
                                
                                
		 Chồng mất để tang đã 5 năm, ngày đưa con đi chơi, vợ run rẩy thấy chồng trong xe hơi sang trọng, đi cùng anh ấy còn có… Chồng mất để tang đã 5 năm, ngày đưa con đi chơi, vợ run rẩy thấy chồng trong xe hơi sang trọng, đi cùng anh ấy còn có…
- 
                                
                                
		 Đề xuất chuyển dự án trụ sở Bộ Ngoại giao cho Tập đoàn PVN quản lý Đề xuất chuyển dự án trụ sở Bộ Ngoại giao cho Tập đoàn PVN quản lý
- 
                                
                                
		 Vụ xây nhầm nhà trên đất người khác: "Thần đèn" vào cuộc, phát lộ sự thật oái oăm về kích thuốc lô đất Vụ xây nhầm nhà trên đất người khác: "Thần đèn" vào cuộc, phát lộ sự thật oái oăm về kích thuốc lô đất
- 
                                
                                
		 Lộ diện ca sĩ gạo cội "nướng" 4,3 triệu USD vào sòng bạc Pullman, hé lộ lời khai khó tin trước tòa Lộ diện ca sĩ gạo cội "nướng" 4,3 triệu USD vào sòng bạc Pullman, hé lộ lời khai khó tin trước tòa
- 
                                
                                
		 Hành trình bỏ trốn của tài xế tông chết người rồi lái xe vào rẫy cà phê, hé lộ kết quả kiểm tra nồng độ cồn Hành trình bỏ trốn của tài xế tông chết người rồi lái xe vào rẫy cà phê, hé lộ kết quả kiểm tra nồng độ cồn
- 
                                
                                
		 Giá vàng tăng vọt sau "cuộc gặp lịch sử": Hé lộ điều bất ngờ khiến nhà đầu tư vàng thay đổi chiến lược Giá vàng tăng vọt sau "cuộc gặp lịch sử": Hé lộ điều bất ngờ khiến nhà đầu tư vàng thay đổi chiến lược
- 
                                
                                
		 Diễn biến mới nhất vụ thí sinh 24 tuổi đỗ tiến sĩ: Nhà trường có quyết định gây bất ngờ Diễn biến mới nhất vụ thí sinh 24 tuổi đỗ tiến sĩ: Nhà trường có quyết định gây bất ngờ
- 
                                
                                
		 Nhà 1 tỷ ở Đống Đa (Hà Nội): Giá rẻ bất ngờ, khách xem ngán ngẩm bỏ về! Nhà 1 tỷ ở Đống Đa (Hà Nội): Giá rẻ bất ngờ, khách xem ngán ngẩm bỏ về!
- 
                                
                                
		 Chê tôi ăn bám, mẹ chồng từ mặt tôi giữa bữa tiệc 400 khách, bà gào lên: "Không có mày, nhà này vẫn sung túc!" Chê tôi ăn bám, mẹ chồng từ mặt tôi giữa bữa tiệc 400 khách, bà gào lên: "Không có mày, nhà này vẫn sung túc!"
- 
                                
                                
		 Huấn Hoa Hồng gặp "biến căng" trong kinh doanh, lộ bí mật đằng sau dàn siêu xe bạc tỷ Huấn Hoa Hồng gặp "biến căng" trong kinh doanh, lộ bí mật đằng sau dàn siêu xe bạc tỷ
Thế giới
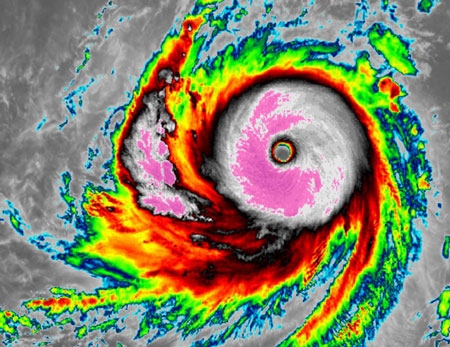
05/08/2015 23:35Tại sao Soudelor là siêu bão mạnh nhất năm 2015?
Theo Washington Post, sau khi tấn công đảo Saipan thuộc quần đảo Mariana phía tây Thái Bình Dương, Soudelor phát triển về quy mô và cường độ, từ cấp 2 lên cấp 4 chỉ trong 12 tiếng. Nó trở thành siêu bão cấp 5 từ chiều 3/8 với sức gió lên tới 354 km/h.
|  | 
| Hình ảnh vệ tinh siêu bão mạnh nhất năm 2015. Ảnh: Washington Post | 
Với cường độ như vậy, Soudelor chắc chắn mạnh hơn Pam, cơn bão mạnh nhất trước đó trong nửa đầu năm 2015 và khiến ít nhất 15 người thiệt mạng tại quốc đảo Vanuatu ở Thái Bình Dương.
Soudelor cũng là cơn bão nhiệt đới mạnh nhất trên trái đất kể từ siêu bão Hagupit với sức gió mạnh nhất lên tới 290 km/h hồi tháng 12/2014.
Theo Bob Hensen, làm việc tại công ty dịch vụ thời tiết trực tuyến Weather Underground, Soudelor là một trong số những cơn bão có mắt và hoàn lưu nhỏ nhất có thể quan sát ở bất cứ địa điểm nào khi nó đổ bộ vào đất liền.
Một yếu tố khiến Soudelor trở thành siêu bão cấp 5 là do hiện tượng El Nino đã đẩy nhiệt độ đại dương lên cao trên toàn khu vực, theo Mashable.
El Nino khiến số lượng các cơn bão ở phía đông Thái Bình Dương tăng nhưng lại giảm ở Đại Tây Dương. Nhiệt độ phía bắc đường xích đạo tại Tây Thái Bình Dương, nơi cơn bão hình thành, đang tăng vào khoảng thời gian này trong năm. Một nghiên cứu gần đây cho thấy sự gia tăng về số lượng cơn bão ở vùng tây bắc Thái Bình Dương khi nhiệt độ bề mặt nước biển ấm dần do hiện tượng nóng lên toàn cầu.
Khi Soudelor tấn công các hòn đảo nhỏ, mắt bão nhỏ bất thường gây ra tình trạng áp suất khí quyển giảm 40 millibar chỉ trong một giờ. Sự sụt giảm nhanh như vậy là cực đoan, ngay cả với những cơn bão thông thường.
Soudelor đang di chuyển theo hướng tây - tây bắc trên vùng biển Thái Bình Dương. Do luồng áp suất cao tại Nhật Bản, thay vì uốn cong qua khu vực phía đông vùng biển Nhật Bản, Soudelor sẽ di chuyển về phía hòn đảo Ryukyu, phía tây nam của nước này, đảo Đài Loan, sau đó tới vùng đông nam Trung Quốc vào cuối tuần.
 
									 
									 
									 
									 
									 
									 
									 
									- Chồng mất để tang đã 5 năm, ngày đưa con đi chơi, vợ run rẩy thấy chồng trong xe hơi sang trọng, đi cùng anh ấy còn có… (15:00)
- Công cụ AI nào giúp tài xế ô tô giải quyết sự cố chuẩn nhất? (15:00)
- Nhiều tiệm vàng ở Thanh Hóa bị phong tỏa, khám xét (9 phút trước)
- Đề xuất chuyển dự án trụ sở Bộ Ngoại giao cho Tập đoàn PVN quản lý (32 phút trước)
- MC Khánh Vy được giao nhiệm vụ quan trọng: Dẫn dắt "Sinh viên thế hệ mới" mùa 3 lột xác hoàn toàn trên VTV3 (32 phút trước)
- Samsung xác nhận Galaxy S26: "Cách mạng hóa" trải nghiệm AI, trang bị camera hoàn toàn mới và chip riêng (34 phút trước)
- Thảm sát kinh hoàng tại Sudan, hơn 1.500 dân thường có thể thiệt mạng (35 phút trước)
- Lộ diện ca sĩ gạo cội "nướng" 4,3 triệu USD vào sòng bạc Pullman, hé lộ lời khai khó tin trước tòa (47 phút trước)
- Nhã Phương bất ngờ bị chỉ trích khi hiến tóc cho bệnh nhân ung thư (52 phút trước)
- Hành trình bỏ trốn của tài xế tông chết người rồi lái xe vào rẫy cà phê, hé lộ kết quả kiểm tra nồng độ cồn (53 phút trước)
 
									 
									 
									 
									 
									