-
CLIP: Những màn khoe của "gây choáng" của Hoàng Hường
-
Tiết lộ ghế ngồi giúp tăng cơ hội sống sót khi máy bay gặp nạn
-
Vì sao cựu Giám đốc Bệnh viện Đa khoa Bình Thuận và Giám đốc CDC Bình Thuận bị bắt?
-
Tú "cơ" buôn ma túy, nhưng thủ sẵn trong người giấy "đi giao nộp cho công an"
-
Phân định pháp lý vụ người phụ nữ lái xe chạy tốc độ cao tông chủ tịch xã tử vong
-
Bóc hộp bánh Trung thu bạn trai tặng bố mẹ, cô gái kiên quyết chia tay
-
Ngã úp mặt vào xô nước, bé gái ở Tây Ninh nguy kịch
-
Hà Nội yêu cầu "đặc biệt rút kinh nghiệm" công tác chống ngập trước bão số 11
-
Ô tô biển số Hà Nội mất lái, tông gãy rào chắn rồi lao xuống sông
-
Nghẹt thở giải cứu 2 công nhân bị hàng chục tấm kính cường lực đè lên người ở Tây Ninh
Xã hội
04/07/2019 15:43Mùa bão 2019: Cơ quan khí quyển Mỹ ra cảnh báo, xuất hiện yếu tố bất thường, khó lường?
Tháng 6/2019: Nắng nóng phá vỡ mọi kỷ lục trong lịch sử
Thế giới và châu Âu bị cái nóng hoành hành
Theo thông tin dự báo thời tiết mới nhất của các chuyên gia thuộc Dịch vụ Biến đổi khí hậu Copernicus (C3S) của Liên minh châu Âu (EU) thì tháng 6/2019 được ghi nhận là tháng nóng nhất trong lịch sử (so với các tháng 6 các năm trước).
Cụ thể, theo dữ liệu từ vệ tinh thời tiết của Trung tâm dự báo thời tiết trung bình châu Âu (ECMWF), nhiệt độ trung bình toàn cầu cao hơn khoảng 0,10 độ C so với tháng 6 nóng nhất từng lập kỷ lục trước đó (là tháng 6/2016, năm có hiện tượng El Nino), Independent (Anh) thông tin.
CNN cũng cho biết, tháng 6/2019 không chỉ được ghi nhận là tháng nóng nhất trong lịch sử trên quy mô toàn cầu, mà còn là tháng nóng nhất trong lịch sử ở châu Âu.
Dữ liệu của C3S cho thấy, nhiệt độ trên toàn châu Âu cao hơn 2 độ C so với các năm trước. Riêng tại các nước như Pháp, Đức, miền bắc Tây Ban Nha, miền bắc Ý, Thụy Sĩ, Áo và Cộng hòa Séc nhiệt độ liên tục phá vỡ kỷ lục trước đó, cao hơn từ 6 đến 10 độ C so với bình thường. Đợt nắng nóng lịch sử hồi tháng 6 vừa qua tại châu Âu (ảnh hưởng từ một khối không khí nóng đến từ sa mạc Sahara) đã khiến nhiều quốc gia châu Âu trải qua những mức nhiệt nóng kỷ lục, tạp chí People đưa tin.

"Những đợt sóng nhiệt như vậy có khả năng cao gấp 100 lần so với một thế kỷ trước. Thậm chí, sóng nhiệt (trong những đợt nắng nóng cường độ cao) có khả năng sẽ xuất hiện nhiều hơn vào những năm 2050." - Peter Stott, chuyên gia phân tích tác động của biến đổi khí hậu đối với thời tiết khắc nghiệt tại Văn phòng Met - Dịch vụ thời tiết quốc gia của Vương quốc Anh, nhận định.
Tại Mỹ, Trung tâm Thông tin Môi trường Quốc gia Mỹ mô tả "Tháng 6/2019 là tháng nóng nhất trong năm của Mỹ. Không chỉ nắng nóng, nước Mỹ chuẩn bị đối mặt với một tháng 7 (tháng thứ 2 của mùa bão Bắc Đại Tây Dương) với nhiều lốc xoáy và mưa bão khó lường.
Không những thế, cả Mỹ và Bắc Mỹ đang trải qua các thái cực thời tiết rõ rệt. Các quốc gia này đang trải qua những ngày và đêm nóng bất thường; thì cũng có những ngày và đêm cực kỳ lạnh, nhiệt độ xuống đến âm độ, theo báo cáo mới nhất của Chương trình Khoa học Biến đổi Khí hậu Mỹ.
Biến đổi khí hậu: 'Đại nạn toàn cầu' không còn nằm trên giấy tờ nghiên cứu
Hàng chục nghìn người tử vong vì nắng nóng năm 1997-1998
People trích dẫn lời các chuyên gia thời tiết cho hay, "Trong tương lai, chúng ta sẽ phải chịu những hiện tượng thời tiết cực đoan do biến đổi khí hậu này thường xuyên hơn nếu như lượng khí thải gây hiệu ứng nhà kính tiếp tục bị phát thải ồ ạt như hiện nay (tác nhân gây nóng lên toàn cầu, biến đổi khí hậu)."
Giáo sư Hannah Cloke, nhà nghiên cứu về các mối nguy hiểm tự nhiên tại Đại học Reading (Anh), cho biết: Tháng 6/2019 là tháng nóng nhất trong lịch sử ở châu Âu. Mọi dữ liệu nhiệt của các tháng cùng kỳ các năm trước đều bị kỷ lục này phá vỡ. Trên quy mô toàn cầu, tháng 6 cũng là tháng nóng nhất trong lịch sử Trái Đất.
Nguy hiểm hơn, sóng nhiệt xảy ra ở bất kỳ loại khí hậu nào và nó đang có khả năng mạnh mẽ hơn vì biến đổi khí hậu. Khí hậu toàn cầu đang ngày càng nóng hơn, trong khí khí nhà kính (như CO2, CH4...) tiếp tục tích tụ theo đúng như dự đoán nhiều thập kỷ của các nhà khoa học.
Các nhà khoa học khí hậu nói rằng thế giới của chúng ta ngày nay nóng hơn 1 độ C so với giữa năm 1850 và 1900 và điều này một phần là do khí thải từ ô tô, máy bay và các hoạt động khác của con người.
01. Nắng nóng, sóng nhiệt: "Sát thủ ầm thầm" của con người
Nắng nóng, sóng nhiệt, nóng lên toàn cầu có ảnh hưởng trực tiếp và gián tiếp đến sức khỏe con người.
- Dưới khía cạnh tác động trực tiếp, sóng nhiệt có thể khiến nhiều người (người nghèo, người lao động ngoài trời...) tử vong; gây ảnh hưởng đến kinh tế.
Cơ quan Phát triển Quốc tế Mỹ (USAID) thông tin, một sự kiện El Nino mạnh từ năm 1997 đến năm 1998 đã cướp đi 24.000 sinh mạng trên toàn cầu, gây thiệt hại kinh tế lên đến 34 tỷ USD.
- Dưới tác động gián tiếp: Nắng nóng, nóng lên toàn cầu sẽ "hun nóng" nhiệt độ bề mặt đại dương, khiến cho các siêu bão, bão mạnh dễ xuất hiện với tần suất mạnh và khó lường hơn.
Không những thế, nhiệt độ toàn cầu tăng lên còn khiến băng ở 2 cực tan nhanh hơn khiến mực nước biển xâm lấn đất đai, có khả năng nhấn chìm các hòn đảo nhỏ trong tương lai.
Năm 2014, Tổ chức Y tế Thế giới (WHO) ước tính rằng biến đổi khí hậu sẽ dẫn đến khoảng 250.000 ca tử vong mỗi năm trong giai đoạn từ năm 2030 đến 2050, từ các yếu tố như suy dinh dưỡng, sóng nhiệt...
Ngân hàng Thế giới (WB) nói thêm rằng, biến đổi khí hậu cũng có thể buộc hơn 100 triệu người rơi vào tình trạng nghèo đói cùng cực vào năm 2030, điều này sẽ khiến con người dễ bị tổn thương hơn do ảnh hưởng sức khỏe từ việc khí hậu biến đổi.
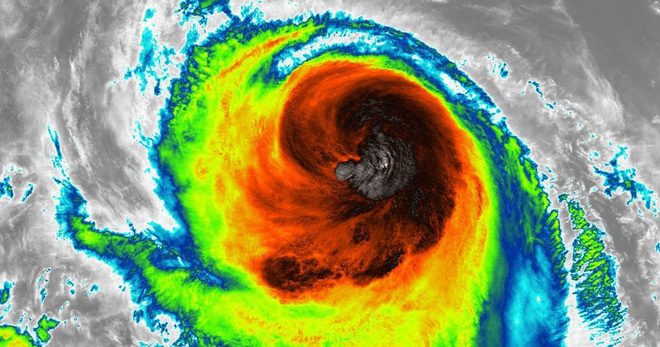
02. NOAA dự báo mùa bão 2019 tại Thái Bình Dương

Các nhà khí tượng học cho biết, bão (xoáy thuận nhiệt đới) phần lớn hình thành trên đại dương và những vùng biển có nhiệt độ nước khá ấm. Các xoáy thuận nhiệt đới lấy năng lượng từ việc nước biển/đại dương bốc hơi.
Việc nước đại dương càng ngày càng ấm lên sẽ khiến cho chúng ta hứng chịu nhiều cơn bão, siêu bão mạnh và khó lường trong tương lai.
Cơ quan Quản lý Khí quyển và Đại dương Quốc gia Mỹ (NOAA) cho biết: Mùa bão Thái Bình Dương bắt đầu từ ngày 1/6 và kéo dài đến ngày 30/11.
Dưới tác động của hiện tượng El Nino, các cơn bão năm nay có xu hướng di chuyển về phía Tây Thái Bình Dương nhiều hơn so với Đông Thái Bình Dương và trung tâm Thái Bình Dương.
Như vậy, các quốc gia ở Đông Nam Á, Australia... đều có thể có khả năng chịu nhiều bão hơn so với các khu vực còn lại.
Chris Brenchley, Giám đốc NOAA kêu gọi mọi người hãy chuẩn bị thật kỹ càng để đối phó với các cơn bão năm 2019. "Mùa bão mới chỉ bắt đầu, do đó, người dân các nước hãy liên tục cập nhật thông tin dự báo thời tiết, đặc biệt là trong những ngày có bão đi qua để ứng phó kịp thời, an toàn nhất."
Trong khi đó, Trung tâm Bão Trung tâm Thái Bình Dương của NOAA liên tục theo dõi các điều kiện thời tiết, sử dụng một mạng lưới các vệ tinh, cảm biến trên mặt đất và đại dương và các nhiệm vụ trinh sát máy bay do NOAA và các đối tác điều hành để tạo cơ sở cho dự báo cường độ và theo dõi đường đi của bão.
Sự tàn phá về người và của từ các siêu bão mạnh là nỗi ám ảnh lớn của rất nhiều quốc gia, đặc biệt là các quốc đảo, quốc gia ven biển.
Tiến sĩ Friederike Otto, Quyền Giám đốc Viện Thay đổi Môi trường, Đại học Oxford (Anh) cho biết: "Đây là một lời nhắc nhở mạnh mẽ một lần nữa, rằng biến đổi khí hậu đang xảy ra ở đây và bây giờ. Nó không phải là một vấn đề chỉ dành riêng cho những nghiên cứu của giới khoa học nữa. Biến đổi khí hậu đang có những tác động tiêu cực trên quy mô toàn cầu."
Lời khuyên của các chuyên gia thuộc Dịch vụ Y tế Quốc gia Anh (NHS) trong những ngày diễn ra nắng nóng cường độ mạnh:
- Uống nhiều nước
- Mở cửa sổ hoặc lỗ thông khí khác xung quanh nhà
- Tạo nhiều bóng râm hoặc che cửa sổ, tránh tiếp xúc với ánh sáng Mặt trời trực tiếp
- Trồng cây bên trong và bên ngoài nhà để cung cấp bóng mát và giúp làm mát không khí
- Tắt đèn và thiết bị điện không sử dụng
- Nghỉ ngơi nếu nhà bạn quá nóng: Đi đến một tòa nhà máy lạnh gần đó như thư viện hoặc siêu thị...
Theo Trang Ly (Helino)








- Chelsea khiến Liverpool lộ diện bản thể mong manh (1 giờ trước)
- Chủ tịch xã nói gì về việc bí thư xã bị “tố” bỏ lớp bồi dưỡng để chơi Pickleball? (1 giờ trước)
- Triều Tiên tuyên bố đanh thép về biện pháp đáp trả Mỹ (1 giờ trước)
- Apple sắp học theo Mark Zuckerberg (2 giờ trước)
- Anh trai "say hi" quá dài dòng, gây mệt mỏi (2 giờ trước)
- Lằn ranh đỏ mới trong cuộc chiến Ukraine? (2 giờ trước)
- Nước ép gừng cốt chanh có tốt không? (2 giờ trước)
- Maguire sang Saudi Arabia? (2 giờ trước)
- Làm bánh Trung thu gửi biếu, con dâu sững sờ khi biết nhà chồng đem vứt không ăn (2 giờ trước)
- Hoa hậu Yến Nhi phát ngôn gây sốc khi không để ý có người livestream (2 giờ trước)




