-
Ông Phạm Nhật Vượng sắp có thêm công ty nửa triệu tỷ đồng
-
Nữ hiệu trưởng bị lũ cuốn, 2 con kẹt giữa vùng lũ chưa thể về chịu tang
-
Kỳ Hân - vợ cầu thủ Mạc Hồng Quân đang bị làm sao vậy?
-
Việt Nam kêu gọi quốc tế hỗ trợ khắc phục hậu quả thiên tai
-
2 chiếc ô tô bị nước lũ cuốn trôi ở Thái Nguyên sáng 9/10: Chủ xe tiết lộ tình trạng hiện tại của "xế cưng"
-
Xuất hiện dấu hiệu bất thường dưới chân đê, hàng nghìn người phải khẩn trương ứng phó
-
Nobel Văn chương 2025 xướng tên nhà văn “phong cách ấn tượng”
-
Shark Bình nói về triết lý "không hại người"
-
Nhan sắc dàn “hot girl” đi khám nghĩa vụ quân sự ở Cần Thơ, Vĩnh Long lên hẳn fanpage của phường
-
5 người trong bữa tiệc tại 1 nhà hàng ở TP HCM suýt chết vì một loại khí không màu, không mùi
Xã hội
15/09/2018 00:59Những siêu bão từng đổ bộ vào Việt Nam
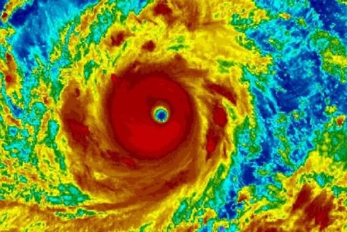
Theo Trung tâm dự báo Khí tượng Thủy văn quốc gia, hồi 7 giờ ngày 14/9, vị trí tâm siêu bão Mangkhut ở cách đảo Luzon (Philippines) khoảng 530km về phía Đông. Sức gió mạnh nhất vùng gần tâm siêu bão mạnh cấp 17 (200-220km/giờ), giật trên cấp 17.

Theo ông Lê Thanh Hải, Phó Tổng Cục trưởng Tổng Cục Khí tượng thủy văn (Bộ Tài nguyên - Môi trường) cho biết: "Khả năng cao khoảng 60% bão Mangkhut di chuyển về phía bắc vịnh Bắc Bộ. Song, không loại trừ khả năng cơn bão này di chuyển lệch xuống thấp hơn, vào giữa vịnh Bắc Bộ. Chúng tôi tạm thời đưa ra kịch bản đây là cơn bão mạnh cấp 11-12, giật cấp 14-15 ở trên vịnh Bắc Bộ. Song, bão Mangkhut có thể giảm cấp khi tương tác với đảo Hải Nam (Trung Quốc) và vùng ven bờ. Tuy nhiên, khi tổ chức phòng chống thiên tai cần đặt những ưu tiên cao. Cơn bão Mangkhut mạnh tương đương với bão Haiyan (2013). Bão Haiyan đã gây thảm họa đặc biệt, gần 7.000 người chết".
Trong lịch sử khí tượng Việt Nam, đây không phải là lần đầu tiên một siêu bão có sức mạnh khủng khiếp đổ bộ vào Việt Nam.
1. Siêu bão Hải Yến (Haiyan) 2013, mạnh nhất trong lịch sử thế giới
Hải Yến (Haiyan), với sức gió cấp 16, là 1 trong 4 siêu bão mạnh nhất lịch sử thế giới.

Vào đầu tháng 11/2013, bão Haiyan đã đổ bộ vào Philippines và gây ra thảm họa. Siêu bão này đã cướp đi sinh mạng khoảng 6.000 người, khiến hàng chục nghìn người bị thương và mất tích.
Bão Haiyan có sức gió "hủy diệt" lên tới cấp 16. Sau khi gây ra thảm họa ở Philippines, cơn bão "hủy diệt" Haiyan vào Biển Đông và trở thành cơn bão số 14 trong năm 2013.
Khi vào Biển Đông, siêu bão Haiyan mạnh cấp 17 và di chuyển rất nhanh.
Trước những cảnh báo về sức tàn phá của siêu bão Haiyan, nhiều tỉnh miền Trung đã lên phương án sơ tán dân. Nhưng sau đó, bão Haiyan đột ngột thay đổi hướng di chuyển.
Thay vì đi vào Thanh Hóa, bão đã đi lên phía Bắc, càn quét qua vùng biển các tỉnh Thanh Hóa, Nam Định, Thái Bình và đổ bộ vào Hải Phòng- Quảng Ninh. Bão khiến 13 người chết, 81 người bị thương.
2. Siêu bão thần tốc Sơn Tinh năm 2012
Sơn Tinh được hình thành từ một vùng áp thấp ngoài khơi Philippines vào ngày 23/10/2012.
Ngày 25/10, sau khi vào Biển Đông, bão Sơn Tinh di chuyển thần tốc với tốc độ lên tới 30km/h. Sơn Tinh có sức gió lên tới cấp 13 (siêu bão), là "cơn bão nhanh nhất trong gần 10 năm” , tiến thẳng vào đất liền Việt Nam. |
Vào chiều tối 28/10, bão Sơn Tinh khi chỉ còn cách ven biển các tỉnh Ninh Bình - Nam Định - Thái Bình dưới 100 km, bão mạnh cấp 11-12 hoành hành suốt nhiều giờ tại đây khiến các địa phương này hứng chịu những trận gió mạnh có lúc giật tới cấp 14, mưa lớn suốt đêm.
Bão Sơn Tinh không đổ bộ vào đất liền mà di chuyển vòng lên phía bắc, tan ở ven biển Hải Phòng- Quảng Ninh.
Bão Sơn Tinh quét dọc từ miền Trung ra miền Bắc, bão Sơn Tinh đã khiến 7 người chết, nhiều người mất tích.
Sơn Tinh gây hại trên 7.500 tỷ đồng. Trong đó nặng nề nhất là Thái Bình (2.662 tỷ), Nam Định (1.535 tỷ), Hải Phòng (gần 1.000 tỷ).
3. Nỗi sợ mang tên Xangsane 2006
Bão Xangsane hình thành trên vùng biển phía đông Philippines ngày 25/9/2006, vào Biển Đông ngày 28/9/2006.
Xangsane là một trong những cơn bão mạnh nhất trong vòng 20 năm tính đến 2006, vào Biển Đông thì cường độ bão mạnh lên cấp 13, giật cấp 14 và giữ nguyên cường độ này khi đổ bộ, tâm bão đi qua TP.Đà Nẵng.
Cơn bão làm khoảng 70 người chết và mất tích từ Thừa Thiên-Huế đến Quảng Ngãi, hơn 500 người bị thương, thiệt hại hơn 10.000 tỉ đồng.
Bão Xangsane còn làm 15.119 căn nhà sập và cuốn trôi; 251.418 căn nhà tốc mái, hư hỏng, 2.059 trường học, cơ quan bị hư hỏng, 579 tàu thuyền chìm và bị hư hại cùng hàng ngàn héc ta nuôi trồng thủy sản, lúa, hoa màu, hàng trăm ki lô mét đường giao thông... bị tàn phá./.
Dự báo hướng đi mới nhất của siêu bão Mangkhut, giật cấp 17 VOV.VN - Siêu bão Mangkhut có khả năng ảnh hưởng trực tiếp đến Vịnh Bắc Bộ trong khoảng ngày 16-17/9 và ảnh hưởng trực tiếp đến đất liền ngày 17-18/9.
Theo Nguyễn Ngân (Vov.vn)








- Thử thách 70 ngày sinh tồn trong rừng, chàng trai trẻ trở thành nhà vô địch nhận gần 400 triệu tiền thưởng (09/10/25 23:40)
- Phương Oanh cứ nhìn con là khóc (09/10/25 23:23)
- Liên đoàn Bóng đá châu Á ra thông báo về vụ cầu thủ nhập tịch của tuyển Malaysia (09/10/25 22:23)
- Ông chủ khoá trái cửa, đổ xăng đốt quán khiến 3 người ở Hải Phòng bị thương (09/10/25 22:17)
- Djokovic lần thứ 80 vào bán kết Masters 1000 (09/10/25 21:39)
- Tuyển Việt Nam thắng Nepal 3-1 (09/10/25 21:31)
- Người đàn ông bất ngờ ngã gục, tử vong khi đang xem bóng đá (09/10/25 20:40)
- Ông bố ép kẻ đã ấu dâm con gái mình tự đào mộ và kết liễu cuộc đời (09/10/25 20:34)
- Ca sĩ Jack bị xử phạt vì tổ chức họp báo kể chuyện đời tư (09/10/25 20:31)
- HLV Shin Tae-yong bị sa thải (09/10/25 20:27)




