-
Tập đoàn FLC thay đổi nhân sự cấp cao: Gương mặt 9X chính thức tiếp quản ghế Tổng Giám đốc -
Hai nghi phạm cướp ngân hàng tại Gia Lai bị bắt sau 17 ngày bỏ trốn -
Thực hư tin đồn "bắt cóc 2 trẻ em tại Times City" khiến dư luận xôn xao -
Scandal trốn thuế nhấn chìm Kim Seon Ho: Suzy và Park Gyu Young "vạ lây", nhãn hàng đồng loạt quay lưng -
Hành trình trượt dài của Á khôi Bùi Thị Phương Linh: Từ lời hứa lan tỏa giá trị tích cực đến vai trò "tú bà" -
Bảng giá xe Honda Winner R 2026 tháng 2/2026: Giảm "sập sàn", hút khách hơn Yamaha Exciter vì quá rẻ -
Xiaomi 15 Ultra đón Tết Nguyên đán 2026 rẻ cỡ này, Galaxy S25 Ultra và iPhone 17 Pro Max nhắm làm lại không? -
Nam danh ca ly hôn ở tuổi U80: Từ thần đồng 4 tuổi đến tượng đài 7 thập kỷ của nhạc Việt -
Á Khôi Phương Linh vừa bị bắt vì điều hành đường dây môi giới mại dâm cao cấp là ai? -
Lộ thêm clip vụ mẹ chồng mắng con dâu sau sinh, dư luận tiếp tục tranh cãi
Xã hội
13/10/2023 02:26Siêu bão Bolaven sẽ rất khủng khiếp nếu đi vào đất liền
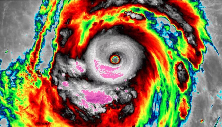
Theo tin bão mới nhất, siêu bão Bolaven trở thành cơn bão mạnh thứ 2 hành tinh trong năm nay. Với sức gió duy trì tối đa 290 km/h, bão Bolaven suýt đuổi kịp bão Mawar để trở thành cơn bão dữ dội nhất năm nay.
Sức gió mạnh nhất của bão Mawar đạt tốc độ 297 km/h vào cuối tháng 5 khi nó cũng di chuyển về phía đông bắc đảo Guam. Các chuyên gia khí tượng nhận xét, nếu đi vào đất liền ở cường độ này, siêu bão Bolaven có sức mạnh “làm rung chuyển mặt đất”.
Bão Bolaven mạnh lên với tốc độ chóng mặt, sức gió đỉnh của nó tăng 152 km/h chỉ trong 24 giờ, cùng với một loạt cơn bão khác đang mạnh lên nhanh chóng trên vùng nước biển ấm kỷ lục trong năm nay.
Tính đến sáng 12/10, cơn bão Bolaven có tâm cách Philippines 3.218 km về phía Đông Đông Bắc và đang di chuyển về phía Bắc trên vùng biển rộng.
Bão Bolaven dự kiến sẽ tiếp tục di chuyển qua Bắc Thái Bình Dương, tránh đất liền vì nó dần yếu đi khi gặp vùng nước lạnh hơn. Tuy nhiên, hệ thống này vẫn sẽ ảnh hưởng đến thời tiết cách đó nửa vòng trái đất. Theo các chuyên gia dự báo thời tiết, bão Bolaven sẽ ảnh hưởng đến thời tiết trên khắp Bắc Mỹ.
Do ảnh hưởng của siêu bão Bolaven vùng biển phía Bắc của khu vực Bắc Biển Đông có gió Đông Bắc mạnh cấp 6-7, giật cấp 8. Ngoài ra, ngày và đêm 12/10, khu vực Bắc Biển Đông (bao gồm cả vùng biển quần đảo Hoàng Sa), vịnh Bắc Bộ, vùng biển từ Quảng Trị đến Quảng Ngãi có mưa rào và dông mạnh; vùng biển từ Bình Định đến Cà Mau có mưa rào và dông rải rác. Trong mưa dông có khả năng xảy ra lốc xoáy và gió giật mạnh cấp 6-7.
Cảnh báo: Ngày và đêm 13/10, vùng biển phía Bắc của khu vực Bắc Biển Đông có gió Đông Bắc mạnh cấp 5, có lúc cấp 6, giật cấp 7-8; biển động; sóng biển cao 2,0-3,5m. Toàn bộ tàu thuyền và các hoạt động khác tại các vùng biển trên đều có nguy cơ cao chịu tác động của gió mạnh, sóng lớn.
Theo Tiệp Phạm (Báo Công Thương)
- Truy tố cựu Thứ trưởng Hoàng Văn Thắng: Cú bắt tay "ngầm" trị giá 4,5 tỷ đồng và khoản thiệt hại khổng lồ (05/02/26 23:32)
- Thế giới bước vào kỷ nguyên "không ràng buộc": Hiệp ước hạt nhân New START chính thức hết hiệu lực (05/02/26 23:20)
- Cảnh báo chiêu trò "đào" tin cũ để câu view: Sự thật về thông tin 3 cán bộ CSGT hy sinh trên cao tốc (05/02/26 23:14)
- Tập đoàn FLC thay đổi nhân sự cấp cao: Gương mặt 9X chính thức tiếp quản ghế Tổng Giám đốc (05/02/26 23:09)
- Sự thật chấn động sau 33 năm "ăn bám": Cuốn sổ tiết kiệm 700 triệu đồng và bí mật của người con trai tàng hình (05/02/26 22:33)
- Hai nghi phạm cướp ngân hàng tại Gia Lai bị bắt sau 17 ngày bỏ trốn (05/02/26 22:29)
- Vịnh Hạ Long trở thành "thiên đường tiệc cưới" của giới tỉ phú Ấn Độ (05/02/26 22:20)
- "Băng Robin Hood" náo loạn Canada: Cướp siêu thị lấy thực phẩm chia cho người nghèo (05/02/26 21:54)
- Thực hư tin đồn "bắt cóc 2 trẻ em tại Times City" khiến dư luận xôn xao (05/02/26 21:32)
- Bi kịch từ "đường tắt" nhập tịch: Bóng đá Malaysia đối mặt với cuộc khủng hoảng niềm tin lịch sử (05/02/26 21:17)