-
Cả nước bật “chế độ cứu trợ khẩn cấp” hướng về Thái Nguyên
-
Chỉ cần giải quyết vấn đề này, người Hà Nội không còn phải bì bõm lội nước
-
Hỗ trợ khẩn cấp 140 tỷ cho 4 tỉnh khắc phục hậu quả mưa lũ, Thái Nguyên mức cao nhất 50 tỷ
-
Cụ bà 91 tuổi ở Thái Nguyên ngồi canh bát hương chồng trong căn nhà ngập nặng
-
100 thuyền, xuồng từ Chùa Hương tiến về vùng lũ trợ giúp người dân Thái Nguyên, Bắc Ninh
-
Cô gái 20 tuổi trở về từ Malaysia nhập viện cấp cứu vì ngực rỉ dịch xanh bất thường sau một mũi tiêm
-
Ban chấp hành Đảng bộ TP Hà Nội nhiệm kỳ 2025-2030 dự kiến có 75 người
-
Cư dân biệt thự Hà Nội sắm máy bơm "khủng", canh nước ngập như canh "chứng khoán"
-
Vì sao mưa bão cực lớn, dị thường liên tiếp trút xuống gây ngập lụt lịch sử?
-
Chóng mặt khi đang làm việc, người đàn ông đột ngột rơi vào nguy kịch
Kinh tế
23/11/2024 15:20Nuôi trăm tổ kiến làm 'vệ binh', anh nông dân có vườn bưởi sạch với chi phí thấp
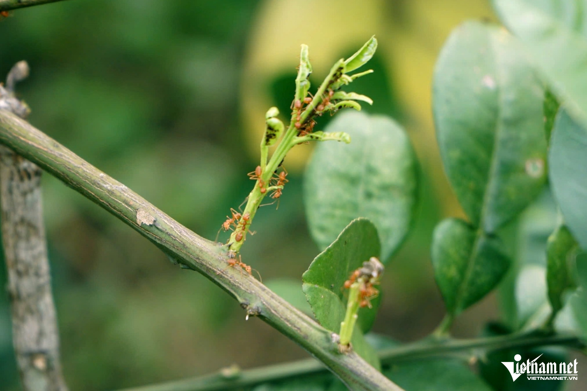
Vườn bưởi diễn hơn 300 gốc, trồng trên diện tích hơn 1,5ha ở thôn Trịnh Xá 1 (xã Yên Ninh, huyện Yên Định, tỉnh Thanh Hóa) của gia đình anh Trịnh Đình Mão (SN 1987) đang chuẩn bị vào vụ thu hoạch.
Sau nhiều năm trồng bưởi, đây là năm đầu tiên anh Mão thấy vườn cho quả đều, đẹp. Năm nay với số lượng bưởi ước tính khoảng 10 tấn quả, tính giá trung bình 10.000 đồng/kg, gia đình anh dự kiến thu về ít nhất cũng hơn 100 triệu đồng.

Anh Mão kể, những vụ trước, cây bưởi bói quả, tuy nhiên toàn bị thối và rụng non do sâu bệnh. Để khắc phục tình trạng trên, anh đã mua thuốc bảo vệ thực vật về dùng. Anh còn dùng túi nilon để bọc quả, nhưng hiệu quả cũng không cao.
“Mỗi năm chi phí cho mua thuốc bảo vệ thực vật, các loại phân hóa học, gia đình tôi ước tính ngốn hơn 30 triệu đồng. Nhờ vào nuôi kiến thay hóa chất, gia đình tôi đã giảm được chi phí rất nhiều, chất lượng bưởi được nâng lên, không ảnh hưởng tới môi trường và đảm bảo sức khỏe cho người sử dụng”, anh Mão cho biết.

Để có được cả trăm tổ kiến vàng làm “vệ binh” cho vườn bưởi như hiện nay, từ đầu năm 2024, anh phối hợp với Trung tâm bảo vệ thực vật Vùng khu IV (Cục Bảo vệ thực vật) và Trung tâm dịch vụ nông nghiệp huyện Yên Định triển khai mô hình nhân nuôi và sử dụng kiến vàng phòng chống sinh vật gây hại trên cây bưởi.
Theo anh Mão, thời gian đầu nuôi kiến anh cũng bỡ ngỡ. Nhưng khi được hướng dẫn của các cán bộ kỹ thuật, anh đã hiểu dần về tập tính của loài kiến, từ đó dễ dàng trong quá trình nuôi và “điều khiển” chúng.
"Đặc biệt, khi đã nuôi kiến phải tuyệt đối không được sử dụng các loại hóa chất nào cho vườn bưởi, không kiến bỏ đi hết hoặc chết", anh nói.

Ban đầu, để kéo đàn kiến về làm tổ, anh Mão đã dùng chai nhựa và ruột gà nhằm dụ đàn. Khi kiến đã thành tổ, anh đều đặn cho kiến ăn. "Tuy nhiên, không được cho kiến no quá, để chúng tự đi săn mồi, như thế mới tiêu diệt được côn trùng”, anh Mão chia sẻ.
Sau một năm triển khai mô hình nuôi kiến, đến nay trong vườn bưởi của gia đình anh Mão có hàng trăm tổ. Để thuận tiện cho kiến di chuyển, anh dùng dây nhựa kết nối các cây với nhau, tạo đường đi cho kiến.
Ngoài ra, trong vườn, anh Mão còn sử dụng nhiều vỏ nhựa có chứa thức ăn (ruột gà, đầu cá…) đặt trên thân cây để kiến bổ sung dinh dưỡng.
Đặc biệt, đối với quả bưởi rụng, anh Mão cắt bỏ phần vỏ ngoài, để dưới gốc cho kiến bổ sung nước khi cần thiết, phần còn lại tạo thành phân hữu cơ bón cho cây trồng.

Theo anh Mão, về ưu điểm, loài kiến vàng rất dễ nuôi, không tốn nhiều thời gian, công sức, chi phí chăm sóc. Kiến vàng có thể tiêu diệt được nhiều sinh vật gây hại như: bọ xít, rầy mềm, sâu vẽ bùa, rệp sáp, kiến hôi… vì vậy, trên cây bưởi có kiến vàng sinh sống gần như không có sâu bọ gây hại.
Tuy nhiên, nhược điểm duy nhất là khi thu hoạch, nếu không cẩn thận và bảo hộ tốt sẽ bị kiến cắn.

Ông Trịnh Xuân Quý, Trưởng phòng NN-PTNT huyện Yên Định, cho biết toàn huyện có hơn 300ha cam và bưởi, chủ yếu phân bổ ở các xã Yên Ninh, Yên Phong, Yên Lâm. Việc đưa phương pháp nuôi kiến vàng thay thế thuốc trừ sâu được địa phương áp dụng năm ngoái và bước đầu cho thấy hiệu quả cao.
“Kiến vàng rất phù hợp với các mô hình trồng cây có múi như bưởi, chanh, cam. Không chỉ giúp diệt sạch sâu bệnh, người dân còn tiết kiệm được chi phí đáng kể và giảm thiểu nhiều thuốc bảo vệ thực vật, đảm bảo tiêu chí sản phẩm sạch. Thời gian tới, chúng tôi sẽ nhân rộng mô hình này hơn nữa tại các vùng trồng bưởi trên địa bàn”, ông Quý cho biết.
Theo Lê Dương (VietNamNet)








- Lời khai của thanh niên lái ô tô tông vào quán nhậu ở Gia Lai (19:25)
- Cháy hầm giữ xe tòa nhà 11 tầng ở TPHCM, người dân hoảng hốt tháo chạy (19:20)
- Nữ hiệu trưởng ở Thái Nguyên bị lũ cuốn tử vong, nhà vẫn trong vùng ngập chưa thể tổ chức tang lễ (19:15)
- 18 tiếng cầu cứu trên mái nhà, cô gái đi mua thuốc cho con đang sốt cao thì bị lật thuyền ở Thái Nguyên (19:07)
- Chim lạ bay vào sân, người dân Nghệ An lập tức báo chính quyền - hóa ra là “báu vật” của rừng xanh (47 phút trước)
- 12 nước phản đối việc Mỹ đòi lại căn cứ quân sự ở Afghanistan (1 giờ trước)
- Trấn Thành, Hòa Minzy và dàn sao Việt quyên góp số tiền lớn cho Thái Nguyên (1 giờ trước)
- Xác định ngôi trường trong clip 32 giây ghi lại cảnh nữ sinh bị 2 bạn nam đánh dã man (1 giờ trước)
- Việt Nam chính thức được nâng hạng: Cơ hội vàng và phép thử lịch sử (2 giờ trước)
- Mưa lũ tại Thái Nguyên làm 4 người chết, nhiều xã phường bị ngập sâu và cô lập (2 giờ trước)




