Đề án sắp xếp, sáp nhập các trường đại học...
VIDEO: Gió lốc cuốn nhiều tấm tôn lớn bay xuống...
Máy bay bốc khói ở sân bay Tân Sơn Nhất...
Sau metro 4 tỷ USD, Vingroup đề xuất làm tiếp...
Lũ lụt nghiêm trọng ở Thái Lan, 12 người thiệt...
Hai mẹ con bị hành hung giữa đường, nạn nhân...
Tổng thống Putin: Mỹ sẽ huỷ hoại quan hệ với...
Thông tin mới về cấp phép thí điểm sàn giao...
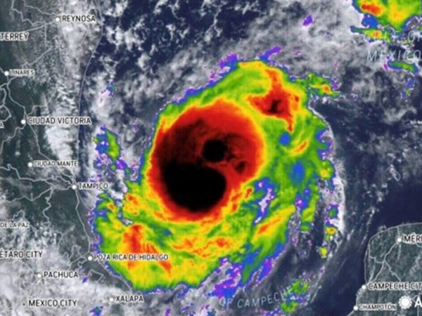
Bão số 11 Matmo có thể vào Quảng Ninh đêm...
Xác minh vụ nữ sinh lớp 8 bị bạn đánh,...
Đề án sắp xếp, sáp nhập các trường đại học...
VIDEO: Gió lốc cuốn nhiều tấm tôn lớn bay xuống...
Máy bay bốc khói ở sân bay Tân Sơn Nhất...
Sau metro 4 tỷ USD, Vingroup đề xuất làm tiếp...
Lũ lụt nghiêm trọng ở Thái Lan, 12 người thiệt...
Hai mẹ con bị hành hung giữa đường, nạn nhân...
Tổng thống Putin: Mỹ sẽ huỷ hoại quan hệ với...
Thông tin mới về cấp phép thí điểm sàn giao...
Bão số 11 Matmo có thể vào Quảng Ninh đêm...
Xác minh vụ nữ sinh lớp 8 bị bạn đánh,...
Tin mới
áp thấp nhiêt đới
Trang 1
Chuyên gia cảnh báo nguy cơ mưa, bão, lũ dồn dập, khốc liệt, cực đoan trong những tháng cuối năm
Chuyên gia thời tiết dự báo La Nina sẽ gây nguy cơ mưa, bão, lũ dồn dập trong những tháng cuối năm, đặc biệt là ở khu vực miền Trung. Mùa mưa bão năm nay sẽ diễn ra khốc liệt, cực đoan.
04/09/2024 15:53:04

Tháng 9 miền Bắc đón không khí lạnh, bão và áp thấp nhiệt đới đổ bộ đất liền cao hơn trung bình nhiều năm
Dự báo năm nay không khí lạnh bắt đầu hoạt động từ tháng 9-10, bão và áp thấp nhiệt đới đổ bộ đất liền cao hơn trung bình nhiều năm, tập trung ở Trung và Nam Bộ.
16/08/2024 16:47:17

Bão số 2 hướng vào đất liền, phía Đông Bắc Bắc Bộ hứng mưa lớn trên 250mm
Bão số 2 diễn biến khá phức tạp, khoảng ngày 23/7, bão giảm cấp nhưng vùng tâm lại trên đất liền khu vực Đông Bắc Bắc Bộ, gây mưa lớn cho miền Bắc và Thanh Hóa.
21/07/2024 21:56:22

Bão số 2 hình thành trên Biển Đông, hướng về Vịnh Bắc Bộ
Áp thấp nhiệt đới trên Biển Đông đã mạnh lên thành bão, cơn bão số 2 trong năm nay, với cường độ cấp 8, giật cấp 10, hướng về phía Bắc Vịnh Bắc Bộ, Nhiều nơi trên cả nước có mưa.
21/07/2024 16:00:31

Áp thấp nhiệt đới tăng cấp, có khả năng mạnh thành bão giật cấp 10
Cơ quan dự báo khí tượng thuỷ văn quốc gia nhận định, trong 24 đến 48 giờ tới, cơn áp thấp nhiệt đới vẫn tiếp tục mạnh lên, có khả năng thành bão.
21/07/2024 02:05:19

Dự báo thời tiết 20/7/2024: Áp thấp nhiệt đới mạnh lên, cả nước có mưa
Dự báo thời tiết 20/7/2024, áp thấp nhiệt đới mạnh dần lên. Sức gió mạnh nhất vùng gần tâm áp thấp nhiệt đới mạnh cấp 8, giật cấp 10.
20/07/2024 13:06:17

Áp thấp nhiệt đới hình thành nhanh trên Biển Đông, đất liền nhiều nơi mưa to
Áp thấp nhiệt đới hình thành rất nhanh từ vùng áp thấp trên Biển Đông và có xu hướng gia tăng cường độ. Trên đất liền, nhiều khu vực trên cả nước vẫn còn mưa to.
19/07/2024 17:51:34

La Nina có thể quay lại vào tháng 9, mưa lũ dồn dập cuối năm
Những nhận định mới nhất cho thấy, La Nina có thể xuất hiện vào khoảng tháng 9-10 năm nay, khiến cho tình hình mưa bão những tháng cuối năm ở miền Trung hết sức phức tạp, khó lường.
16/07/2024 21:30:53

Áp thấp nhiệt đới gây mưa lớn, cảnh báo nguy cơ lũ quét và sạt lở đất
Dự báo áp thấp nhiệt đới sẽ suy yếu trước khi vào đất liền các tỉnh Trung Bộ, tuy nhiên hoàn lưu sẽ gây mưa lớn từ Bắc vào Nam, nguy cơ xảy ra lũ quét và sạt lở đất.
16/07/2024 01:33:39

Áp thấp nhiệt đới giật cấp 8 trên Biển Đông, đất liền mưa lớn
Vùng áp thấp trên khu vực giữa Biển Đông đã mạnh lên thành áp thấp nhiệt đới, với sức gió giật cấp 8 và di chuyển về hướng đất liền nước ta. Nhiều khu vực trên cả nước mưa lớn.
14/07/2024 02:12:22

Rãnh áp thấp đang hình thành trên Biển Đông, nắng nóng ở miền Bắc sắp kết thúc
Xác suất Biển Đông xuất hiện áp thấp nhiệt đới là 65-75%. Trên đất liền, nắng nóng ở miền Bắc sắp kết thúc; riêng Nam Bộ mưa giông liên tiếp.
21/06/2024 20:39:34

Biển Đông sắp có áp thấp nhiệt đới, khả năng mạnh lên thành bão khoảng 30%
Dự báo khoảng ngày 23-25/6, trên Biển Đông khả năng hình thành một vùng áp thấp, sau đó có thể mạnh lên thành áp thấp nhiệt đới và khoảng 20-30% mạnh lên thành bão.
20/06/2024 06:11:04

Dự báo thời tiết 31/5/2024: Hà Nội mưa rào gió bắc, Biển Đông có áp thấp nhiệt đới
Dự báo thời tiết hôm nay (31/5/2024), Hà Nội và nhiều tỉnh thuộc Đông Bắc Bộ có mưa rào và giông, gió bắc đến đông bắc cấp 2-3. Trên Biển Đông, áp thấp nhiệt đới di chuyển chủ yếu theo hướng Bắc.
31/05/2024 14:18:44

Xuất hiện áp thấp nhiệt đới đầu tiên của mùa bão năm 2024
Áp thấp nhiệt đới đầu tiên năm 2024 xuất hiện trên biển Đông và đang có xu hướng mạnh lên trên biển Đông
31/05/2024 02:27:55

Biển Đông đón áp thấp nhiệt đới, miền Bắc mưa lớn
Vùng áp thấp ở gần quần đảo Hoàng Sa đã mạnh lên thành áp thấp nhiệt đới chiều 30/5, đánh dấu bắt đầu mùa mưa bão được dự báo khốc liệt.
30/05/2024 23:09:39

Xuất hiện áp thấp nhiệt đới gần Biển Đông, sắp mạnh lên thành bão
Cơ quan khí tượng Việt Nam đang theo dõi diễn biến của cơn áp thấp nhiệt đới, sau mạnh lên thành bão ở Tây Bắc Thái Bình Dương. Theo nhận định, cơn bão ít khả năng di chuyển vào Biển Đông.
24/05/2024 00:14:24

Áp thấp nhiệt đới tăng cấp, hướng vào Vịnh Bắc Bộ
Áp thấp nhiệt đới di chuyển theo hướng Tây Bắc, khoảng 10 km/h, có khả năng mạnh thành bão; trên vùng biển Quảng Bình- Thừa Thiên Huế, rồi hướng vào Vịnh Bắc Bộ và tăng cấp.
18/10/2023 14:21:24

Áp thấp nhiệt đới tiến sát bờ biển, miền Trung lại mưa lớn dồn dập
Áp thấp nhiệt đới di chuyển theo hướng Tây Bắc, khoảng 10 km/h, có khả năng mạnh lên thành bão, trên vùng biển Quảng Trị đến Đà Nẵng. Miền Trung tiếp tục mưa lớn dồn dập.
18/10/2023 01:38:21

Vùng áp thấp có khả năng mạnh lên thành áp thấp nhiệt đới
Theo Trung tâm dự báo khí tượng thủy văn Quốc gia, trong 24 giờ tới, vùng áp thấp di chuyển chậm theo hướng Tây Bắc, mỗi giờ đi được khoảng 5km và có khả năng mạnh lên thành áp thấp nhiệt đới.
17/10/2023 01:16:06

Không khí lạnh tăng về cường độ trong tháng 10, miền Bắc mưa nhiều
Trong tháng 10, không khí lạnh bắt đầu có xu hướng hoạt động gia tăng dần về tần suất và cường độ. Tổng lượng mưa ở miền Bắc cao hơn 5-15% so với trung bình nhiều năm.
01/10/2023 17:53:13
Bài đọc nhiều

Tin mới nhất về bão số 11 Matmo: Cách Quảng Ninh 420km, miền Bắc sắp chịu ảnh hưởng

Hoàng Hường vẫn "xuất hiện" giữa tin bị bắt tạm giam?

Tử vi Chủ nhật ngày 5/10/2025 của 12 con giáp: Sửu lạc quan, Mão tốt số

Vụ 3 người trong 1 gia đình tử vong ở Đồng Nai: Các nạn nhân đều bị đạn bắn vào đầu

Hoa hậu Yến Nhi phát ngôn gây sốc khi không để ý có người livestream