-
Cửa hàng điện tử ở Hà Nội cháy dữ dội
-
Toàn cảnh lễ đón Tổng Bí thư Tô Lâm thăm cấp Nhà nước CHDCND Triều Tiên
-
Bộ GD-ĐT yêu cầu xử lý vụ thầy giáo bóp cổ đồng nghiệp ngay trong trường
-
Từ Lee Min Ho đến Song Joong Ki, thời câu view kiếm tiền từ sao hạng A đã qua rồi
-
Bọc bạt kín như bưng, hai ô tô ở Thái Nguyên vẫn "mất tích" trong mưa ngập
-
Đêm trắng giữ đê ở Bắc Ninh, hàng nghìn người căng mình gia cố chống lũ
-
Cảnh sát, quân đội vào vùng ngập lụt lịch sử: "Không sao, có chú đây rồi"
-
Cảnh báo: Ngày càng nhiều nhân viên văn phòng trốn làm đi chơi pickleball!
-
Taylor Swift bị ruồng bỏ vẫn làm nên lịch sử, cả loạt siêu sao "ra chuồng gà"
-
Trực thăng Không quân cứu trợ 5 em bé mắc kẹt trên nóc nhà ở Lạng Sơn
Xã hội
04/11/2017 13:11Ít nhất 11 người chết, nhiều nạn nhân mất tích vì bão Damrey
- Bão đổ bộ Phú Yên - Khánh Hòa lúc 6h sáng, sức gió tối đa 149 km/h.
- 12h bão sang các tỉnh miền Nam Campuchia.
- 3 người chết, nhiều người mất tích
- Hàng trăm nhà dân, công trình bị tốc mái, cây xanh gãy đổ la liệt.
- Tỉnh Phú Yên, Khánh Hòa mất điện trên diện rộng.
15h00
Vì sao Damrey gây hậu quả nghiêm trọng?
Thạc sĩ Lê Thị Xuân Lan (nguyên Phó phòng dự báo Đài khí tượng thủy văn khu vực Nam Bộ) cho biết, Damrey là một cơn mạnh và đặc biệt. Khi đi vào biển Đông, bão được tiếp thêm năng lượng nên mạnh thêm. Đồng thời, đây là cơn bão có tốc độ đi khá nhanh, trong khi thời gian suy yếu lại chậm, giảm cấp gió từ từ nên thời gian hoành hành trên đất liền nhiều hơn các cơn bão khác.
"Bão đang ở các tỉnh Tây Nguyên, sắp di chuyển sang Campuchia. Gió đã giảm xuống cấp 8 nhưng vẫn giật cấp 10. Trong vài ngày tới thời tiết các tỉnh Nam Trung Bộ và Tây Nguyên tiếp tục xấu do hoàn lưu bão kết hợp không khí lạnh phía Bắc đang tràn xuống mạnh", bà Lan nói.

Chuyên gia khí tượng khác cho rằng, bão Damrey gây thiệt hại nặng do:
- Bão được cộng hưởng của không khí lạnh từ phía Bắc tràn xuống khiến nó tăng cấp khi gần bờ, tăng thêm 2 cấp (từ cấp 10 lên cấp 12) trong vòng 6 tiếng. Thậm chí khi vào đất liền, một số nơi có gió mạnh cấp 13.
- Bão mạnh ngoài sức gió mạnh thì phạm vi ảnh hưởng rất rộng, vùng ảnh hưởng gồm mưa, gió mạnh suốt từ Đà Nẵng tới Bình Thuận và các tỉnh Tây Nguyên.
- Khu vực bị ảnh hưởng tập trung nhiều dân cư, có số lượng phương tiện đánh bắt rất nhiều (Bình Định, Quảng Ngãi, Khánh Hòa)…
- Người dân ở khu vực này vẫn còn tâm lý chủ quan, hoặc cho rằng bão khó có thể vào Nha Trang, Cam Ranh vì đã có vịnh che chắn nên không chủ động ứng phó bão.
13h00

Trực tiếp chỉ đạo chống bão Damrey ở huyện Vạn Ninh, Phó chủ tịch UBND tỉnh Khánh Hòa Nguyễn Duy Bắc cho biết: "Thiệt hại vật chất chưa thể thống kê, song riêng huyện Vạn Ninh đã có 3 người chết, 5 người bị thương; hàng chục nghìn ngôi nhà và hầu hết trường học bị tốc mái, cây gãy đổ khắp nơi. Đây là địa phương bị ảnh hưởng nặng nhất".
Thị xã Ninh Hòa xác nhận có 2 người tử vong do sập nhà, 2 người mất tích. Trước đó, cháu bé ở Nha Trang cũng thiệt mạng do tường đổ.
Tỉnh Phú Yên ghi nhận 2 người tử vong và nhiều người mất tích vì bão. Hiện, Phó Thủ tướng Trịnh Đình Dũng đang thị sát tỉnh này, sau khi làm việc ở Khánh Hòa.
Chủ tịch UBND tỉnh Bình Định Hồ Quốc Dũng cho hay, địa phương không phải là khu vực bão đi qua, song thiệt hại là rất lớn. "Hai người chết; 6 tàu bị chìm, trong đó đa số là tàu của tỉnh bạn vào Bình Định trú bão thì bị sóng đánh chìm, hiện đã cứu được 35 người...", ông nói.

12h30
Hiện, bão đã quét qua Lâm Đồng, khiến các huyện Lạc Dương, Đơn Dương và TP Đà Lạt mưa rất lớn, gió giật mạnh khiến nhiều cây đổ rạp, nhà tốc mái... Một số nhà xe từ chối vận chuyển khách từ Đà Lạt đi Nha Trang (tỉnh Khánh Hòa) tránh nguy hiểm.
Ông Phan Công Ngôn, Chi cục trưởng thủy lợi tỉnh Lâm Đồng cho biết, các hồ thủy điện của tỉnh đã xả lũ với lưu lượng 75 m3 mỗi giây. Trước diễn biến phức tạp của bão đang ở các tỉnh Tây Nguyên và Nam Trung bộ, ngành thủy lợi Lâm Đồng cảnh báo mưa lớn có thể gây lũ quét đột đột tại các sông suối, vùng trũng thấp, cảnh báo người dân không ra ngoài nếu không thực sự cần thiết.
Ngày 4/11, tại phường Phước Hòa, TP Tuy Hòa, Phú Yên diễn ra một đám cưới đặc biệt giữa anh Trần Phước Toản và chị Lâm Phước Hà, cùng 25 tuổi. Do đã định ngày cưới từ lâu, không thể hoãn lại nên họ quyết định tổ chức đám cưới trong ngày mưa bão.
Thời tiết không thuận lợi, nhưng hai bên gia đình đều chấp thuận và vui vẻ trong đám cưới của hai con. Rạp cưới bị gió cuốn sập, hàng chục khách phải chui vào trong nhà ăn tiệc.
Mưa bão nên cũng ít khách đến, nhưng những người có mặt để chung vui cùng gia đình đôi bên đều vui vẻ và cho rằng, đây là đôi "vượt qua giông bão".


Trao đổi với VnExpress trưa 4/11, ông Lê Quốc Trung, Phó tổng giám đốc công ty Cổ phần vận tải đường sắt Sài Gòn cho biết hiện tuyến đường sắt đi qua địa bàn tỉnh Phú Yên bị gián đoạn do ảnh hưởng của cơn bão Damrey.
"Cây cối ngã đổ, tôn chắn đường, nước ngập khiến nhiều chỗ tàu không chạy được nên phải nằm chờ rải rác ở các ga", ông Trung nói và cho biết nhân viên ngành đường sắt đang đi kiểm tra, đoạn nào không gặp trở ngại thì tàu sẽ chạy trở lại.
Cũng trong hôm nay, ga Sài Gòn phải hoãn 3 chuyến tàu: SE6, SE22, SE10.
11h30
Lúc 10h, tâm bão ở trên đất liền các tỉnh Khánh Hòa - Đăk Lăk - Lâm Đồng. Sức gió mạnh nhất ở vùng gần tâm bão mạnh cấp 10 (90-100 km/h), giật cấp 12. Trong 12 giờ tới, bão di chuyển theo hướng Tây với tốc độ 15-20 km/h, đi sâu vào đất liền và suy yếu dần thành áp thấp nhiệt đới.
Đến 22h, tâm áp thấp nhiệt đới ở trên đất liền khu vực Campuchia. Sức gió mạnh nhất gần tâm áp thấp nhiệt đới mạnh cấp 6 (40-50 km/giờ), giật cấp 8.
Trưa 4/11, Trung tâm khí tượng thủy văn Trung ương cho biết, bão Damrey vào đất liền Phú Yên - Khánh Hoà như dự báo ban đầu về thời gian đổ bộ cũng như cường độ gió. Đây là cơn bão khá mạnh, hoành hành 6 tiếng trên đất liền các tỉnh Nam Trung Bộ trước khi đi sang khu vực Campuchia và suy yếu dần.
Do ảnh hưởng của bão, ở An Nhơn (Bình Định), Tuy Hòa (Phú Yên), Ninh Hòa và Nha Trang (Khánh Hòa) gió đang giật trên 100 km/h; Đà Lạt, Liên Khương (Lâm Đồng) nhẹ hơn. Tại các tỉnh từ Quảng Trị đến Ninh Thuận đang có mưa rất to với tổng lượng mưa phổ biến 100-300 mm.
Cơ quan chức năng cũng cảnh báo nguy cơ lũ quét, mất an toàn hồ chứa các tỉnh từ Quảng Nam đến Khánh Hòa, đặc biệt là tỉnh Khánh Hòa.
11h00
Hàng loạt chuyến bay bị hủy
Vietnam Airlines sáng nay thông báo hủy thêm 14 chuyến bay đến các sân bay Quy Nhơn, Buôn Ma Thuột, Chu Lai, Đà Lạt do bão Damrey. Vietjet cũng thông báo ngừng khai thác 22 chuyến bay đi và đến các sân bay khu vực miền Trung bao gồm sân bay Đà Nẵng, Chu Lai, Quy Nhơn, Tuy Hoà, Cam Ranh, Đà Lạt trong ngày 4/11. Ngoài ra, nhiều chuyến bay khác cũng bị ảnh hưởng dây chuyền.
9h40
Phó chủ tịch UBND Phú Yên, ông Trần Hữu Thế cho biết, theo báo cáo nhanh từ các địa phương, hiện đã có vài trường hợp mất tích và hai người thiệt mạng vì bão. Hiện, mưa và gió rất to trên địa bàn tỉnh. "Vài nghìn căn nhà bị tốc mái, ở vung ven biển, gần sân bay sóng đánh 2-5 m, bao trùm cả đường đi", ông Thế cho hay.
Ở Sông Cầu, Tuy An, hơn trăm tàu thuyền neo đậu ổn định trước đó cũng bị sóng đánh chìm. Bè tôm, bè cá bị trôi ra ngoài biển rất nhiều, không kể hết.
9h20
Phó chủ tịch UBND TP Nha Trang, ông Lê Huy Toàn cho biết gần 10 người bị mắc kẹt ở một căn nhà trên đường Phạm Văn Đồng đã được giải cứu an toàn. Tuy nhiên, thành phố đã ghi nhận một trường hợp tử vong do bão. Ông Toàn cho biết, gió to đã làm đổ một bức tường, đè vào một cháu bé gây tử vong.
9h00
Hồi 8h30 phút, Công an Khánh Hòa giải cứu thành công 3 người đàn ông kẹt trong đống đổ nát tại dãy phòng trọ thuộc phường Vĩnh Hòa, TP Nha Trang. Các nạn nhân chỉ bị thương ở chân, còn tỉnh táo, hiện trường gạch vữa, mái tôn nằm ngổn ngang.
"Khoảng 5h30 chúng tôi ngồi trong nhà trọ nghe ngóng bão thì tiếng gió rít mạnh lướt qua khiến phòng trọ đổ sập, trời đất tối thui. Chúng tôi kẹt bên trong không thoát ra được", một nạn nhân kể.


8h30
Sáng nay, nhiều tuyến đường ở TP Tuy Hòa (Phú Yên) bị ngập nặng do mưa lớn. Sau một đêm nín thở đón bão, người dân thức dậy tiếp tục tạt nước ra khỏi nhà, dọn dẹp tôn rơi vãi. Gia đình anh Quách Hưu Thành, phường 7, Tuy Hòa bị bão làm hỏng mái nhà đêm qua. Anh cho biết, tối nay sẽ đưa vợ con đi ở nhờ.
Một tiếng trước, Phú Yên có mưa to, gió lớn. Càng về hướng biển, gió càng rít dữ dội. Các khu vực hạ lưu sông Ba gần biển đang căng mình trước cơn bão. Người dân đi lên thành phố khó về nhà khi đi ngược hướng gió bị nước mưa quật vào mặt.
8h25
Sau khi bão số 12 càn qua, hàng loạt tuyến đường ở TP Nha Trang ngập nặng, nhiều nơi ngập 0,5 m như đường 2/4, đường Lý Thánh Tôn, Hùng Vương…
Do ngập úng, cây xanh ngã la liệt nên giao thông tại TP Nha Trang rất khó khăn. Công an tỉnh Khánh Hòa đang huy động tất cả lực lượng để cứu hộ, xử lý cây xanh ngã đổ.


8h10
Gần 10 người mắc kẹt trong nhà ở Nha Trang
Tại Khánh Hòa, mưa càng lúc càng lớn, gió giật rất mạnh. Hàng chục ngôi nhà tốc mái, cây đổ la liệt. Phó chủ tịch UBND TP Nha Trang, ông Lê Huy Toàn cho hay, ông vừa chỉ đạo phường Vĩnh Hòa xuống hiện trường một căn nhà bị sập khiến gần chục người bị mắc kẹt trên đường Phạm Văn Đồng. Hiện Nha Trang có một cháu bé bị thương nhẹ do bão, chưa ghi nhận thiệt hại nào về người. "Ảnh hưởng của bão rất lớn, nhà cửa tốc mái, cây cối đổ rất nhiều", ông Toàn cho biết.

8h10
Trong khi Nam Trung bộ hứng chịu sức tàn phá nặng nề của bão Damrey thì Sài Gòn, địa phương được dự báo nằm trong tầm ảnh hưởng của bão sáng nay trời nắng ráo, quang mây. Khu vực xã đảo Thạnh An, huyện Cần Giờ trời cũng hửng nắng. Người dân được chính quyền di dời hôm qua lục đục trở về nhà.

Ngồi uống cà phê, đọc báo ven đường, ông Trương Văn Chuối (thị trấn Cần Thạnh) cho biết vẫn theo dõi diễn biến của báo số 12. "Sáng nay, trời mát mẻ, nhưng tui nghĩ phải chờ hết ngày mới biết Cần Giờ bị ảnh hưởng bởi bão hay không", ông Chuối nói.
Sáng cùng ngày, lãnh đạo UBND TP HCM đã tới thăm hỏi, động viên bà con tại các điểm sơ tán huyện Cần Giờ. Tai điểm các sơ tán trường THPT Cần Thạnh, bà Hồ Thị Ba (thị trấn Cần Thạnh) chia sẻ: "Mừng quá, sáng nay thấy trời quang, mây tạnh. Chắc hết bão rồi. Hôm qua, cả nhà tui 6 người đều vội vàng tới đây trú bão".

8h00
Nguy cơ lũ quét, sạt lở đất các tỉnh từ Quảng Nam đến Khánh Hoà
Trong 6 giờ qua, các tỉnh từ Quảng Nam đến Khánh Hòa đã xảy ra mưa to đến rất to. Mưa to sẽ tiếp tục trút xuống khu vực này trong 6-12 giờ tới.
Nguy cơ xảy ra lũ quét, sạt lở đất ở vùng núi, ngập úng cục bộ ở vùng trũng thấp tại các tỉnh này là rất cao, đặc biệt ở các huyện: Hiên, Nam Giang, Quế Sơn, Phước Sơn, Trà My (Quảng Nam); Trà Bồng, Sơn Tây, Sơn Hà, Ba Tơ, Minh Long (Quảng Ngãi);
Vân Canh, An Lão, Vĩnh Thạnh, Hoài Ân, Phù Cát, Hoài Nhơn, Tuy Phước (Bình Định); Tuy Hòa, Đồng Xuân, Sông Hinh, Sơn Hòa, Tây Hòa, Sông Cầu (Phú Yên); Khánh Vĩnh, Khánh Sơn, Cam Ranh, Diên Khánh, Vạn Ninh, Ninh Hoà (Khánh Hoà).
Cơ quan chức năng cũng cảnh báo nguy cơ mất an toàn hồ chứa các tỉnh từ Quảng Nam đến Khánh Hòa, đặc biệt là tỉnh Khánh Hòa.
7h30
Khu vực Nha Trang - Diên Khánh gió giật cực mạnh, nhiều xe máy đi đường bị quật ngã. "Tôi chạy xe từ Phú Yên vào thấy thật khủng khiếp, xe mái, cột điện, tôn nhà bay tung tóe. Cả đời chưa thấy cơn bão nào lớn thế này", một tài xế cho biết.
Trong khi đó khu vực bến xe phía Nam Khánh Hòa hành khách bỏ chạy tán loạn khi trần nhà bị sập, cửa kính bị gió giật vỡ. Hàng chục hành khách bị kẹt lại do không có xe nào dám rời khỏi bến. Hiện đường sá vắng hoe, không ai dám ra đường.
Sáng 4/11, bão Damrey đã đổ bộ vào khu vực giữa 2 tỉnh Phú Yên và Khánh Hòa.
Ảnh hưởng của bão, tại Tuy Hòa (Phú Yên) có gió giật cấp 11, Ninh Hòa (Phú Yên) gió giật cấp 12, Nha Trang (Khánh Hòa) gió giật cấp 11.
Tâm bão lúc 7h, đang ở trên đất liền ven biển các tỉnh Khánh Hòa - Phú Yên. Sức gió mạnh nhất gần tâm bão mạnh cấp 11-12 (100-135km/h), giật cấp 15.
Trong 3 giờ tới, bão đi chủ yếu theo hướng Tây với tốc độ 15-20 km/h.
Bão số 12 đã gây mưa to đến rát to ở các tỉnh Trung Bộ, Tây Nguyên. Tại Tam Kỳ mưa to 101mm, TP Quảng Ngãi 118mm; MDrak (Đăk Lăk) có mưa to 131mm...
6h40
Tại Phú Yên, mưa và gió đã giảm, tình trạng mất điện vẫn xảy ra trên diện rộng. Trong TP Tuy Hòa, cây xanh gãy đổ, bật gốc la liệt kéo theo dây điện nằm la liệt trên đường. Tại xóm Rớ, khu vực có kè bị xói lở, nhiều nhà dân bị tốc mái.
Ông Trần Hữu Thế - Phó chủ tịch tỉnh cho biết hiện tại bão vẫn đang mạnh. Sáng nay, một số vùng ở TP Tuy Hòa đã có điện. Theo ông Thế, ngành điện lực chỉ khắc phục một số nơi có khả năng không bị bão tiếp tục tàn phá.
Theo Trung tâm dự báo khí tượng thủy văn Trung ương, do ảnh hưởng của bão số 12, tại Tuy Hòa (Phú Yên) có gió giật cấp 11, Nha Trang (Khánh Hòa) gió giật cấp 11. Lúc 6h, tâm bão bắt đầu đổ bộ vào Khánh Hòa với gió mạnh nhất ở vùng gần tâm bão cấp 12 (115-135km/h), giật cấp 15. Dự báo trong 3 giờ tới, bão di chuyển chủ yếu theo hướng Tây với tốc độ 15-20km/h.
6h00
Trên Quốc lộ 1 từ Cam Ranh về Nha Trang, gió giật dữ dội. Tôn nhà dân hai bên đường tốc mái bay khắp nơi. Hàng loạt cây xanh ngã chắn ngang đường bộ và sắt khiến nhiều xe khách, tàu Bắc - Nam phải dừng lại. Các trụ bơm của cây xăng bị gió quật ngã. Trời đã sáng, nhưng các nhà dân cửa vẫn đóng, không một bóng người.


5h30
Cam Ranh (Khánh Hòa) trời bắt đầu đổ mưa, gió thổi rít ù ù. Nhiều tài xế lái ôtô đang đi vào tâm bão Khánh Hòa Phú Yên tỏ vẻ lo lắng. "Bão vào cũng sợ chứ, ngoài việc lo lắng trên đường còn lo cho gia đình ở Ninh Hòa, không biết vợ con ở nhà có bị gì không", anh Tâm, phụ xe khách tuyến TP HCM - Khánh Hòa, nói.

Còn tại Nha Trang, trên đường Trần Phú, hàng loạt cây bật gốc nằm la liệt dưới đường. Trong đó, nhà hàng cách tháp Trầm Hương gần 100 m bị cây cổ thụ đè lên mái.
Lãnh đạo huyện Vạn Ninh - huyện tiếp giáp Phú Yên - cho biết, nhiều ngôi nhà tại xã Vạn Thọ tốc mái, hư hỏng.
Theo bản tin dự báo lúc 5h, do ảnh hưởng của bão Damrey, đảo Lý Sơn (Quảng Ngãi) gió mạnh cấp 7, giật cấp 9, An Nhơn (Bình Định) gió mạnh cấp 8, giật cấp 10, Tuy Hòa (Phú Yên) giật cấp 10. Các tỉnh từ Quảng Trị đến Ninh Thuận đã có mưa rất to như: Quảng Ngãi 115 mm, Tam Kỳ (Quảng Nam) 100 mm, Tuy Hòa (Phú Yên) 90 mm,…
4h ngày 4/11, tâm bão ở ngay trên vùng biển các tỉnh Phú Yên - Khánh Hòa - Ninh Thuận với gió mạnh cấp 12 (115-135 km/h), giật cấp 15. Trong 6 giờ tới, bão di chuyển theo hướng Tây với tốc độ 15-20 km/h, đi vào đất liền các tỉnh Phú Yên, Khánh Hòa, Ninh Thuận sau đó suy yếu dần.
Đến 10h ngày 4/11, tâm bão ở trên đất liền các tỉnh Phú Yên-Khánh Hòa-Ninh Thuận với gió mạnh nhất vùng gần tâm bão mạnh cấp 10 (75-100 km/h), giật cấp 13.
5h00
Gió đang giật mạnh ở Phú Yên. Anh Hội (40 tuổi) ở xã Hòa Bình 1, huyện Tây Hòa nói chưa bao giờ chứng kiến một trận bão nào mà gió lớn như vậy từ sau cơn bão năm 1993. Xã của anh và các xã lân cận đã cúp điện, mọi thứ chìm trong bóng tối.
"Mưa đã nhẹ hơn cách đây một giờ, nhưng gió thổi rất mạnh, ngồi trong nhà vẫn nghe tiếng ù ù. Ngoài đường không một bóng người. Kiểu này tâm bão quét qua thì mọi thứ đổ gục mất", anh Hội nói, giọng lo âu.
Ở thị trấn Hòa Vinh, huyện Đông Hòa (Phú Yên) gia đình năm người nhà anh Bảo (35 tuổi) không dám ngủ vì lo bão đến. "Gió giật mạnh kinh khủng. Nhiều nhà cấp bốn hàng xóm của tôi, mái ngói tốc luôn rồi. Ngồi trong nhà mà đội nói bảo hiểm vì sợ ngói rơi lên đầu", anh Bảo lo lắng.
Tại huyện An Nhơn, Bình Định, ông Thanh (55 tuổi) cho biết hiện gió giật mạnh, cỡ cấp 9-10. Hiện vẫn còn mưa to, gió lớn. Điện nhà dân đã mất hơn ba giờ, điện đường vẫn sáng. Cũng ở huyện này, một người dân cho biết nhà cấp bốn của họ đã bay ngói. "Có phải bão đã vào rồi không, hay mới vào sơ sơ thôi, mà đã khủng khiếp vậy rồi. Đang chờ tới sáng để chui ra khỏi gầm gường đây", anh này chia sẻ.
4h50
Ninh Thuận
Là địa phương được cảnh báo nằm trong vùng nguy hiểm tương đương Khánh Hòa và Phú Yên, song TP Ran Rang Tháp Chàm giờ mới bắt đầu mưa, gió rít từng hồi nhưng không lớn.
Bờ biển sóng đập mạnh hơn, tuy nhiên vẫn chưa có biểu hiện việc bão ảnh hưởng trực tiếp địa phương này. Anh Nguyễn Văn Hùng - một ngư dân xã Đông Hải - cho biết hiện khu vực nhà ven biển đã được di tản lên nhà người thân ở giữa làng tránh bão đổ bộ. "Mưa gió như vậy thì không hề hấn gì, sợ sáng nay bão đổ bộ vào mới tàn phá", anh Hùng nói.

4h00
Hàng loạt nhà tốc mái
Tại nhà văn hóa rộng 300 m2 ở cảng Hòn Rớ, TP Nha Trang có khoảng 150 người được về trú bão từ chiều. Người dân mang đồ đạc, chăn màn rồi trải chiếu nằm xếp lớp trên nền nhà. Nhiều trẻ nhỏ ôm chặt mẹ cuộn tròn ngủ trong chăn trong khi nhiều người khác ngồi ngóng bão. Chính quyền hỗ trợ mì tôm và nước nóng để dân lót dạ đêm khuya.
Bên ngoài, mưa càng thêm nặng hạt, gió rít từng đợt kéo dài. Trên các tuyến đường tại Hòn Rớ, cây xanh, bảng hiệu ngã đổ la liệt, nhiều nhà tôn tốc mái.


2h30
Cấp độ rủi ro thiên tai chỉ sau mức thảm họa
Gió vẫn giật càng lúc càng mạnh ở TP Tuy Hòa. Nhiều căn nhà phát ra tiếng rung bần bật, mái tôn va vào nhau chát chúa. Một số khu vực bị cúp điện, người dân cầm đèn pin mở cửa xem bão nhưng nhanh chóng rút vào nhà khi thấy cảnh đổ nát bên ngoài.
Trước nguy cơ bão Damrey đổ bộ vào tỉnh Phú Yên, nước dâng do bão ở ven biển 0,5-1 m, sóng có thể cao 6-8m, Phó chủ tịch Trần Hữu Thế bày tỏ lo ngại: "Chúng tôi đang lo nhất là khu vực cửa Đà Diễn và Đà Nông ở TP Tuy Hòa vì sóng đang phủ rất mạnh. Trước đó, 800 m đoạn đê ngăn với khu dân cư đã bị cuốn. Tuy đã đổ đá khắc phục nhưng vẫn lo không chịu nổi".
Theo ông Thế, do địa bàn nằm trên tâm bão nên nhiều khu vực ven biển sẽ bị ảnh hưởng nặng như điểm nuôi trồng thủy sản ở Vũng Rô, Tuy An, đầm Cù Mông và vịnh Xuân Đài. Đa phần ngư dân đã được vận động chằng chống đối phó bão. "Cơn bão lần này cấp độ gió lớn hơn mọi năm nhưng được cái dân bớt chủ quan nên việc chuẩn bị tốt hơn", ông Thế nói.

Theo Trung tâm dự báo khí tương thủy văn Trung ương, lúc 2h30 các đảo Lý Sơn (Quảng Ngãi), An Nhơn (Bình Định) gió mạnh cấp 7, giật cấp 9; ở Tuy Hòa (Phú Yên) giật cấp 8. Các tỉnh từ Quảng Trị đến Ninh Thuận đã có mưa to, một số nơi có mưa rất to (Quảng Ngãi 107 mm), Tam Kỳ (Quảng Nam) 51 mm.
Cấp độ rủi ro thiên tai bão ở 3 tỉnh Phú Yên, Khánh Hòa được nâng lên cấp 4 - chỉ sau mức thảm họa.
Trong 12 giờ tới, bão di chuyển theo hướng Tây, mỗi giờ đi được 15-20 km, vào đất liền các tỉnh từ Phú Yên đến Ninh Thuận với sức gió mạnh nhất cấp 11-12, giật cấp 15. Đến 13h, vị trí tâm bão trên đất liền các tỉnh phía Nam Tây Nguyên. Sức gió mạnh nhất ở vùng gần tâm bão mạnh cấp 9-10 (75-100 km/h), giật cấp 13.
Vùng biển từ Quảng Ngãi đến Bình Thuận (bao gồm đảo Lý Sơn, Phú Quý) có gió mạnh cấp 8-10, vùng gần tâm bão đi qua cấp 11-12, giật cấp 15; biển động dữ dội. Vùng biển các tỉnh từ Quảng Trị đến Quảng Nam có gió mạnh cấp 6-7, giật cấp 9; khu vực Bắc Biển Đông có gió mạnh cấp 7-8, giật cấp 10.
2h30
Nha Trang sơ tán dân trong mưa

Mưa, gió rít liên hồi, mỗi lúc mạnh hơn. Biển động, sóng đánh dữ dội. Cây xanh dọc đường Trần Phú bị gió quật sơ xác.
Chia sẻ đến VnExpress, anh Thương (ngụ TP Nha Trang) cho biết thức trắng đêm bởi hồi hộp đón bão. "Gió gầm rú, mưa vẫn chưa to lắm nhưng điện ở chỗ tôi cúp rồi", anh nói.
Cùng ở thành phố biển này, cả đêm chị Trang phải đứng giữ cái cửa nhà, cảm giác như gió muốn thổi bay mất. "Gió giật mạnh, khu phố của tôi lại nằm trong vùng dự báo gió cấp 12, giật cấp 15. Không biết lát bão vào có trụ được không", chị tỏ ra lo lắng.
2h20, gần chục hộ dân sống trong vùng có nguy cơ sạt lở ở Hòn Rớ được chính quyền đưa đến nơi cao ráo. Hệ thống điện được cắt để đảm bảo an toàn.
Tại trụ sở UBND tỉnh Khánh Hoà, Chủ tịch Lê Đức Vinh cùng các lãnh đạo khác túc trực, theo dõi diễn biến bão Damrey - được cho đổ bộ vào đây. "Công tác ứng phó bão triển khai đồng loạt xuống các địa phương. Hiện chúng tôi theo dõi để sớm phản ứng khi bão ập đến", ông Vinh nói.
1h30
Cây đổ đè hàng loạt dây điện ở Phú Yên

Mưa càng lúc càng lớn tại TP Tuy Hòa, Tây Hòa... Ngoài đường không một bóng người. "Gió quật vào cửa ầm ầm khiến gia đình tôi không thể ngủ, cảm giác bão sắp vào đến nơi rồi", anh Hội (25 tuổi) ở Tây Hòa cho biết.
Trên đường Trần Hưng Đạo, gần UBND phường 7 (TP Tuy Hòa), nhiều cây xanh bật gốc, đè đứt hệ thống dây điện rơi vung vãi. Trước cổng Học viện Ngân hàng phân hiệu Phú Yên, một số biển quảng cáo bị gió thổi bay; cổng chào ghiêng ngả, giật liên hồi trong mưa gió.
Phó chủ tịch UBND tỉnh Phú Yên Trần Hữu Thế cho biết đã nhận được thông tin, yêu cầu ngành điện lực xử lý tình huống đứt dây điện tránh nguy hiểm cho người dân. "Khu vực này đã được rà soát, hiện bão đang vào, không có người dân đi lại trên đường nên chúng tôi cũng bớt lo", ông nói.
0h30
Phú Yên mưa dữ dội
Tại bờ biển phường 7, TP Tuy Hòa, mưa mịt mùng. Sóng cao gần 5 m cuồn cuộn ập vào bờ, tung bọt trắng xóa. Những hàng dương liễu bị gió cuốn nghiêng ngả. Tỉnh Phú Yên được dự báo là một trong hai khu vực bão Damrey đổ bộ vào với cấp gió 12.
"Mưa hơn 2 tiếng rồi, giờ đang mạnh lên. Mưa to, gió giật liên hồi khiến hàng tre trước phòng trọ của tôi ngả rạp như sắp gẫy", chị Huyền Trâm ngụ phường 9 (TP Tuy Hòa) cho biết.
Ông Trần Hữu Thế - Phó chủ tịch tỉnh Phú Yên - cho biết, các khu vực phía Nam của tỉnh được dự báo có khả năng bị thiệt hại nặng là: TP Tuy Hòa, huyện Tuy Hòa và huyện Đông Hòa; TP Tuy Hòa, huyện Tuy An và sông Cầu có khả năng xảy ra sạt lở bờ biển do triều cường.
Trước đó, tỉnh đã di dời 4.000 hộ dân với 18.000 người ở các vùng gần sông, biển, đặc biệt là các hộ nuôi bò trên sông Ba. "Biện pháp chủ yếu là di dời tại chỗ chứ không phải di dời tập trung. Bà con được đưa đến nhà người thân cách vùng nguy hiểm vài trăm mét", ông Thế nói.
Từ hôm kia thủy điện bắt đầu được xả lũ, hiện mức xả lũ là 3.000 m3/giây và sẽ duy trì mức xả này đến sáng mai. "Chúng tôi đã thông báo cho người dân biết và những ai ở vùng nguy hiểm cũng đã được di dời", ông Thế thông tin.
Trung tâm dự báo khí tượng thủy văn Trung ương cho biết, lúc 0h ngày 4/11 tâm bão còn cách bờ biển Phú Yên - Khánh Hòa - Ninh Thuận khoảng 170 km về phía Đông. Gió mạnh nhất ở vùng gần tâm bão lên đến 135km/h (cấp 12), giật cấp 15.
Trong 3 giờ tới, bão di chuyển chủ yếu theo hướng Tây với tốc độ 15 km/h.
0h10
Mưa nhiều giờ tại Khánh Hòa
Mưa tại TP Nha Trang (Khánh Hòa) bắt đầu mạnh, kèm gió lớn. Tuy nhiên, trên một số tuyến phố ở nội đô vài công nhân vẫn tất bật dọn vệ sinh.
Đường Trần Phú, dọc biển, sóng đánh khá mạnh. Cột sóng có chỗ cao hơn 2 m - nhất là phía Quảng trường 2 Tháng 4.
Tại các phường, địa phương tăng cường lực lượng túc trực. Thanh niên xung kích chốt các trụ, phản ứng nhanh khi bão ập đến.
"Theo dự báo rạng sáng 4/11 bão ập đến Khánh Hoà, lãnh đạo tỉnh chia thành nhiều tổ đến từng địa phương hỗ trợ phản ứng, phòng chống bão. Để đảm bảo an toàn cho dân, từ 22h đêm qua tỉnh đã phát lệnh cấm người dân ra đường", một lãnh đạo tỉnh cho hay.

0h5
Trao đổi với PV, đại diện Trung tâm dự báo khí tượng thủy văn Trung ương cho biết, tốc độ di chuyển của bão Damrey chậm lại một chút và nhiều khả năng tâm bão sẽ đổ bộ vào Phú Yên - Khánh Hòa vào sáng sớm mai.
"Trong tối nay chúng tôi đã ghi nhận mưa lớn xảy ra ở một số nơi như Thành phố Quảng Ngãi: 60 mm, Tam Kỳ: 23 mm. Ở Quy Nhơn, Tuy Hòa, đảo Lý Sơn có gió mạnh cấp 6", ông cho biết.
Trong khi đó, theo bản tin mới nhất của Trung tâm dự báo khí tượng thủy văn trung ương, lúc 22h ngày 3/11, tâm bão cách bờ biển Phú Yên - Khánh Hòa - Ninh Thuận khoảng 200 km về phía Đông. Sức gió gần tâm bão mạnh đến 135km/h (cấp 12), giật cấp 15

Trong 12 giờ tới, bão di chuyển theo hướng Tây với tốc độ 14-17 km/h. Sáng sớm 4/11 bão sẽ đi vào đất liền các tỉnh từ Nam Phú Yên đến Bắc Bình Thuận với sức gió mạnh nhất cấp 11-12, giật cấp 15. Đến 10h, tâm bão ở trên đất liền các tỉnh từ Phú Yên đến Ninh Thuận và vẫn giữ nguyên cấp độ gió.
Bão Damrey sau đó tiếp tục theo hướng Tây với tốc độ 15-20 km/h, đi sâu vào đất liền và suy yếu dần thành áp thấp nhiệt đới. Đến 22h ngày 4/11, tâm áp thấp nhiệt đới ở trên khu vực miền Nam Campuchia. Lúc này, gió gần tâm áp thấp nhiệt đới giảm xuống còn cấp 6 (40-50 km/h), giật cấp 8.
Cấp độ rủi ro thiên tai cơn bão là cấp 3; riêng các tỉnh Phú Yên, Khánh Hòa, Ninh Thuận cấp 4, chỉ sau mức thảm họa.
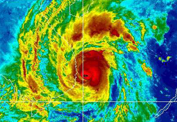
Damrey - cơn bão đặc biệt
Mạnh lên thành bão từ sáng 2/11, bão số 12 trong năm đi vào biển Đông mang tên quốc tế Damrey được đánh giá là "cơn bão đặc biệt" vì sức gió đã mạnh lên hai cấp (từ 10 lên 12, khoảng 100 lên 130 km/h) chỉ trong 6 tiếng. Nguyên nhân là khi vào gần bờ bão kết hợp với khí lạnh từ phía Bắc tràn xuống.
Để đối phó, Ban chỉ đạo phòng chống lụt bão Trung ương đã liên tục họp với các tỉnh, thành trong vùng ảnh hưởng của cơn bão. Tất cả tàu bè ngoài khơi được kêu gọi tìm nơi tránh trú, thậm chí "cưỡng chế" nếu không chịu chấp hành lệnh di dời.
Theo kế hoạch ứng phó với bão của Bình Định, Phú Yên, Khánh Hòa, Ninh Thuận, Bình Thuận, tổng số người dự kiến di dời là trên 75.000 hộ với 386.000 nhân khẩu. Trong đó, Bình Định có số dân dự kiến sơ tán cao nhất với hơn 93.000, tiếp đến là Khánh Hòa 92.000, Phú Yên trên 85.000 người.
Các tỉnh Khánh Hòa, Ninh Thuận, Bình Thuận đã cấm biển từ ngày 2/11. Tỉnh Khánh Hòa đã cho học sinh nghỉ từ 12h ngày 3/11. Giao thông đi lại của người dân cũng bị ảnh hưởng vì hàng loạt chuyến bay tại các sân bay Cam Ranh, Đà Lạt phải hủy hoặc hoãn.
Cũng nằm trong vùng ảnh hưởng, TP HCM đã sơ tán cục bộ 4.000 người ở huyện đảo Cần Giờ để tránh bão Damrey. Hiện có hơn 1.500 cán bộ, chiến sĩ túc trực 24/24 để chủ động đối phó mọi tình huống. Tại đảo Thạnh An, nếu bão có nguy cơ đổ bộ vào sẽ sơ tán dân vào đất liền để đảm bảo an toàn.
Thiếu tướng Ngô Quý Đức (Phó tư lệnh Quân khu V) cho biết đã chỉ đạo các lực lượng quân đội ở địa phương huy động trên 44.000 quân nhân, dân quân tự vệ; hiệp đồng với 30 đơn vị khác của Bộ Quốc phòng với 12.000 người, cùng với khoảng hàng trăm ôtô, canô… Tất cả sẵn sàng cơ động 24/24 để giúp nhân dân.
Theo ông Đức, trên địa bàn có 168 hồ đập, trong đó 75 hồ đập thủy điện có nguy cơ sạt lở. Đề nghị các tỉnh phải cơ động sơ tán dân, không nên chủ quan. Nếu xảy ra sự cố vỡ hồ sẽ thiệt hại rất lớn.
Theo PV (VnExpress.net)








- Người phụ nữ thuê trọ 15 năm, thấy chủ nhà được đền bù giải tỏa 9,6 tỷ đồng lập tức đòi chia phần: “Tôi xứng đáng được một nửa” (59 phút trước)
- Cửa hàng điện tử ở Hà Nội cháy dữ dội (1 giờ trước)
- Người đàn ông ở TP HCM bị cướp giật dây chuyền vàng trị giá 100 triệu đồng (1 giờ trước)
- Suýt ngất khi biết đây là phòng của một nữ sinh 2k1! (1 giờ trước)
- "Ông hoàng nhạc sến" Vbiz: Bỏ 1 triệu đô mua bảo hiểm trinh tiết, đúc tượng chính mình từ 1.000 cây vàng (1 giờ trước)
- Toàn cảnh lễ đón Tổng Bí thư Tô Lâm thăm cấp Nhà nước CHDCND Triều Tiên (1 giờ trước)
- VIDEO: Người dân chen chúc xếp hàng mua vàng khi giá vượt 142 triệu đồng/lượng (1 giờ trước)
- Ông bố trẻ khóc nức nở vì con trai học tiểu học, nhưng vợ ngồi cạnh lại cười khúc khích: Chuyện gì đây? (1 giờ trước)
- "Cậu bé đẹp nhất thế giới" William Franklyn-Miller giờ ra sao? (1 giờ trước)
- Bộ GD-ĐT yêu cầu xử lý vụ thầy giáo bóp cổ đồng nghiệp ngay trong trường (1 giờ trước)




