- 
                                
                                
		 Vụ đánh bạc tại khách sạn Pullman Hà Nội: Ca sĩ Vũ Hà kể lần chơi duy nhất, hé lộ số tiền thua lỗ Vụ đánh bạc tại khách sạn Pullman Hà Nội: Ca sĩ Vũ Hà kể lần chơi duy nhất, hé lộ số tiền thua lỗ
- 
                                
                                
		 Phố cổ Hội An tan hoang sau trận lũ lịch sử: Nước mắt giữa bùn non và đổ nát Phố cổ Hội An tan hoang sau trận lũ lịch sử: Nước mắt giữa bùn non và đổ nát
- 
                                
                                
		 Gần 2.000 container sầu riêng ùn ứ: Phó Thủ tướng chỉ đạo làm rõ trách nhiệm, không để gián đoạn xuất khẩu Gần 2.000 container sầu riêng ùn ứ: Phó Thủ tướng chỉ đạo làm rõ trách nhiệm, không để gián đoạn xuất khẩu
- 
                                
                                
		 Đề xuất bỏ quy định "lái xe không quá 10 giờ một ngày, 48 giờ một tuần" Đề xuất bỏ quy định "lái xe không quá 10 giờ một ngày, 48 giờ một tuần"
- 
                                
                                
		 Vietjet và Rolls-Royce ký kết hợp đồng động cơ Trent 7000 trị giá 3,8 tỷ Đô la Mỹ Vietjet và Rolls-Royce ký kết hợp đồng động cơ Trent 7000 trị giá 3,8 tỷ Đô la Mỹ
- 
                                
                                
		 Tự ý đặt tên con, tôi bị chồng dí mặt vào tường: "Giống nòi nhà tôi, cô không có quyền" Tự ý đặt tên con, tôi bị chồng dí mặt vào tường: "Giống nòi nhà tôi, cô không có quyền"
- 
                                
                                
		 Chồng mất để tang đã 5 năm, ngày đưa con đi chơi, vợ run rẩy thấy chồng trong xe hơi sang trọng, đi cùng anh ấy còn có… Chồng mất để tang đã 5 năm, ngày đưa con đi chơi, vợ run rẩy thấy chồng trong xe hơi sang trọng, đi cùng anh ấy còn có…
- 
                                
                                
		 Đề xuất chuyển dự án trụ sở Bộ Ngoại giao cho Tập đoàn PVN quản lý Đề xuất chuyển dự án trụ sở Bộ Ngoại giao cho Tập đoàn PVN quản lý
- 
                                
                                
		 Vụ xây nhầm nhà trên đất người khác: "Thần đèn" vào cuộc, phát lộ sự thật oái oăm về kích thuốc lô đất Vụ xây nhầm nhà trên đất người khác: "Thần đèn" vào cuộc, phát lộ sự thật oái oăm về kích thuốc lô đất
- 
                                
                                
		 Lộ diện ca sĩ gạo cội "nướng" 4,3 triệu USD vào sòng bạc Pullman, hé lộ lời khai khó tin trước tòa Lộ diện ca sĩ gạo cội "nướng" 4,3 triệu USD vào sòng bạc Pullman, hé lộ lời khai khó tin trước tòa
Xã hội
16/09/2024 01:29Miền Bắc lại mưa lớn cục bộ, Biển Đông khả năng có 1-2 cơn bão vào cuối tháng 9
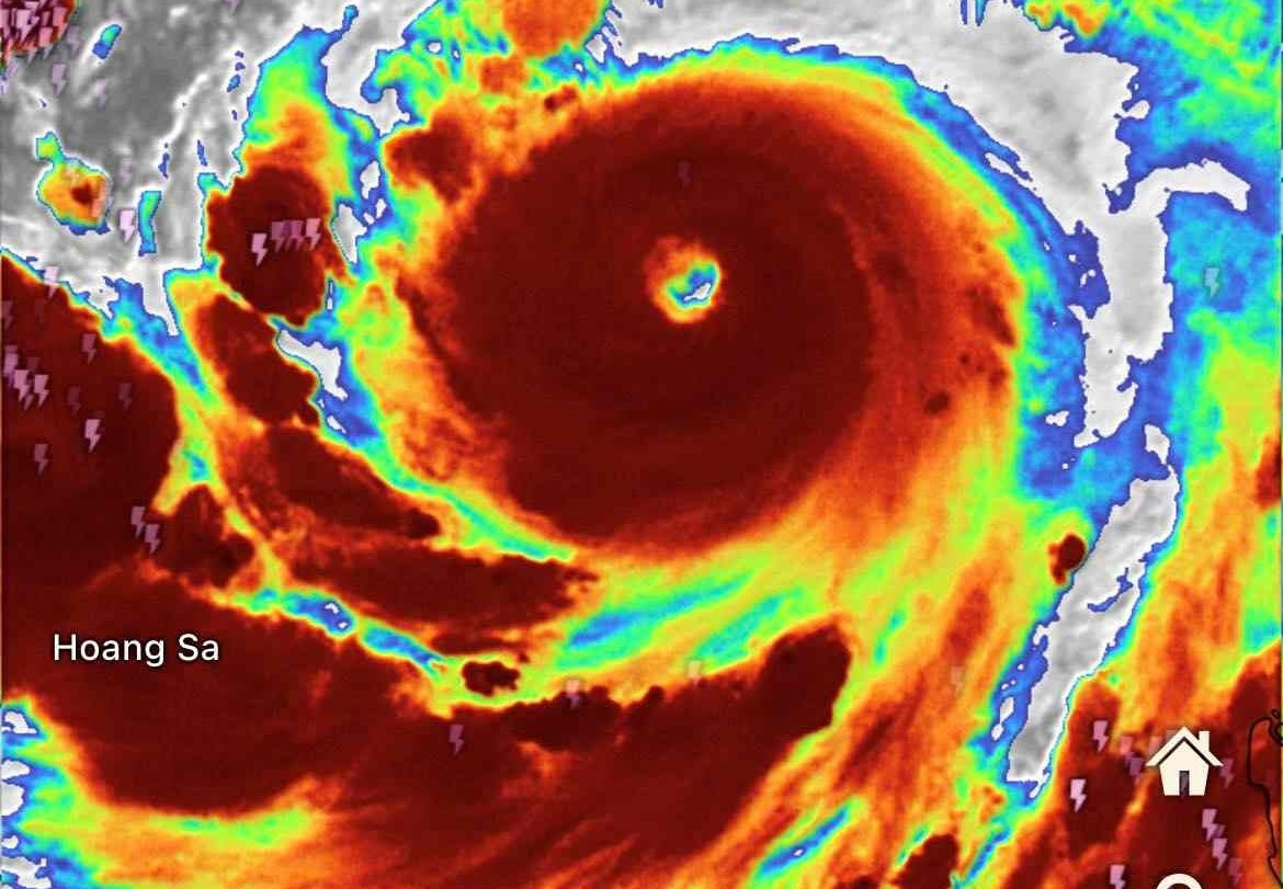
Trung tâm dự báo khí tượng thuỷ văn quốc gia vừa cho biết, hiện nay đang có bão Bebinca hoạt động ở Tây Bắc Thái Bình Dương, dự báo sẽ đổ bộ vào phía Đông Trung Quốc, không ảnh hưởng đến Việt Nam.
Theo cơ quan khí tượng, trên Biển Đông hiện đang tồn tại dải hội tụ nhiệt đới (rãnh áp thấp) kết hợp gió mùa Tây Nam mạnh sẽ gây mưa cho Tây Nguyên, Nam Bộ đến ngày 16/9, lượng mưa phổ biến 40-80mm, thời gian mưa tập trung vào chiều và đêm. Hình thái mưa này không ảnh hưởng lớn đến Bắc Bộ.
"Trong 7 ngày tới, dự báo Bắc Bộ chủ yếu ít mưa, ngày nắng gián đoạn. Trong đó, giai đoạn từ đêm 15 đến ngày 17/9, Bắc Bộ trong đó trọng tâm là các tỉnh Lào Cai, Yên Bái, Phú Thọ, Quảng Ninh và Hải Phòng mưa vừa, lượng mưa phổ biến 10-30mm/ngày, cục bộ mưa to trên 50mm/ngày", cơ quan khí tượng lưu ý.
 
Nhận định thiên tai từ nay đến cuối năm 2024, cơ quan khí tượng cho biết, từ nay đến hết tháng 9, Biển Đông khả năng xuất hiện 1-2 cơn bão (khả năng tập trung vào 10 ngày cuối tháng 9) và có thể ảnh hưởng đến Bắc Bộ và Bắc Trung Bộ. Cảnh báo có nguy cơ cao xảy ra mưa lũ dồn dập ở Trung Bộ trong thời kỳ mưa lũ tháng 10÷11/2024.
Trước mắt, từ chiều tối nay đến chiều tối ngày 17/9, ở khu vực Tây Nguyên và Nam Bộ có mưa vừa, mưa to và giông, cục bộ có nơi mưa rất to với lượng mưa phổ biến 40-80mm, cục bộ có nơi trên 150mm (thời gian mưa tập trung vào chiều và đêm).
Ngoài ra, trong chiều tối và đêm nay, ở khu vực Trung và Nam Trung Bộ có mưa rào và rải rác có giông, cục bộ có nơi mưa to đến rất to với lượng mưa từ 15-30mm, cục bộ có nơi trên 80mm. Ở khu vực Bắc Bộ có mưa rào và giông rải rác, cục bộ có nơi mưa to với lượng mưa từ 10-30mm, cục bộ có nơi trên 50mm. Trong mưa giông có khả năng xảy ra lốc, sét và gió giật mạnh.
Cảnh báo, đêm 17 và ngày 18/9, ở khu vực Tây Nguyên và Nam Bộ tiếp tục có mưa vừa, mưa to và rải rác có giông, cục bộ có nơi mưa rất to với lượng mưa phổ biến 20-40mm, cục bộ có nơi trên 90mm (thời gian mưa tập trung vào chiều và đêm). Mưa lớn ở khu vực Tây Nguyên và Nam Bộ có khả năng kéo dài đến khoảng ngày 19/9.
Rét đậm xuất hiện khoảng từ nửa cuối tháng 12
Dự báo xa hơn, Trung tâm dự báo khí tượng thuỷ văn quốc gia cho biết, hiện tượng ENSO đang trong trạng thái trung tính, khả năng chuyển sang trạng thái La Nina với xác suất 60-70% từ tháng 10-12/2024.
Trong 3 tháng này, so với trung bình nhiều năm, hoạt động của bão và áp thấp nhiệt đới trên Biển Đông khả năng ở mức xấp xỉ đến cao hơn, trong đó số cơn đổ bộ vào đất liền có thể cao hơn và tập trung nhiều ở Trung Bộ, các tỉnh phía Nam (trung bình nhiều năm trên Biển Đông 4,5 cơn, đổ bộ đất liền 1,9 cơn). Đề phòng khả năng bão/áp thấp nhiệt đới hình thành ngay trên khu vực Biển Đông.
 
Đồng thời, cơ quan khí tượng dự báo, mùa mưa tại Trung Bộ có thể tập trung chính vào tháng 10-11/2024. Mùa mưa ở Trung Bộ, Tây Nguyên và Nam Bộ khả năng kết thúc muộn hơn bình thường (khoảng nửa cuối tháng 12/2024).
So với trung bình nhiều năm cùng thời kỳ, tổng lượng mưa ở Bắc Bộ trong tháng 10-11/2024 cao hơn 10-20%, vùng núi thấp hơn 5-10%. Tháng 12, tổng lượng mưa khu vực này phổ biến 20-40mm (thấp hơn 5- 10mm).
Tại Trung Bộ, tổng lượng mưa tháng 10-11/2024 phổ biến cao hơn 10-30%; tháng 12, Bắc Trung Bộ tổng lượng mưa dao động 15-30mm, trong đó các tỉnh Nam Nghệ An - Hà Tĩnh phổ biến 50-100mm (thấp hơn trung bình nhiều năm 5-10mm); các tỉnh Quảng Bình - Quảng Trị tổng lượng mưa 100-200mm (cao hơn nhiều năm 10-15mm), các tỉnh từ Thừa Thiên Huế - Khánh Hoà 250-500mm, có nơi cao hơn; Ninh Thuận - Bình Thuận dao động 30-80mm.
Tây Nguyên và Nam Bộ từ tháng 10-11, cao hơn 5-20%. Tháng 12/2024, tổng lượng mưa tại Tây Nguyên 30-50mm, một số nơi ở Nam Tây Nguyên và Nam Bộ 50-80mm, có nơi cao hơn (cao hơn từ 10-30mm) so với trung bình nhiều năm cùng kỳ.
Trong 3 tháng cuối năm 2024, trên phạm vi cả nước đề phòng các hiện tượng thời tiết nguy hiểm như giông, lốc, sét và gió giật mạnh.
Bên cạnh đó, không khí lạnh có thể hoạt động mạnh trong tháng 11-12/2024, trong đó rét đậm ở Bắc Bộ dự báo xuất hiện từ nửa cuối tháng 12 (tương đương trung bình nhiều năm).
Nhiệt độ trung bình trên cả nước trong 10/2024 phổ biến cao hơn 0,5-1 độ so với trung bình nhiều năm; tháng 11-12 phổ biến ở mức xấp xỉ, trong đó Bắc Bộ, Bắc và Trung Trung Bộ khả năng thấp hơn khoảng 0,5 độ.
Theo Bảo Anh (VietNamNet)
 
									 
									 
									 
									 
									 
									 
									 
									- Vụ đánh bạc tại khách sạn Pullman Hà Nội: Ca sĩ Vũ Hà kể lần chơi duy nhất, hé lộ số tiền thua lỗ (17:16)
- Vụ giả cướp bắt cóc em họ ép gia chủ chuyển 600 triệu ở Hà Nội: Nguyên nhân liều mạng cướp tiền? (17:10)
- Đầu tháng 11 "đỏ rực": 3 con giáp bùng nổ vận may, công việc - tài lộc thăng hoa ngoạn mục (1 giờ trước)
- Danh tính bị cáo duy nhất không nhận tội đánh bạc ở khách sạn Pullman, hé lộ màn trả treo trước tòa (1 giờ trước)
- Gia đình Hải Sen bị bóc trần chiêu giấu doanh thu 86 tỷ: Hé lộ đường dây trốn thuế tinh vi của Công ty Hải Bé! (1 giờ trước)
- Chấn động giới võ thuật: Nhà vô địch Muay Thái giải nghệ trở thành "ông trùm" cá độ online, kiếm hàng chục tỷ đồng (1 giờ trước)
- Apple sắp nâng cấp OLED cho iPad mini và MacBook Air (1 giờ trước)
- Từ kỳ vọng đến đổ vỡ: Thượng đỉnh Nga – Mỹ dừng lại vì đâu? (1 giờ trước)
- Phố cổ Hội An tan hoang sau trận lũ lịch sử: Nước mắt giữa bùn non và đổ nát (1 giờ trước)
- Gần 2.000 container sầu riêng ùn ứ: Phó Thủ tướng chỉ đạo làm rõ trách nhiệm, không để gián đoạn xuất khẩu (1 giờ trước)
 
									 
									 
									 
									 
									 
								 
								 
								 
								 
								