-
Cửa hàng điện tử ở Hà Nội cháy dữ dội
-
Toàn cảnh lễ đón Tổng Bí thư Tô Lâm thăm cấp Nhà nước CHDCND Triều Tiên
-
Bộ GD-ĐT yêu cầu xử lý vụ thầy giáo bóp cổ đồng nghiệp ngay trong trường
-
Từ Lee Min Ho đến Song Joong Ki, thời câu view kiếm tiền từ sao hạng A đã qua rồi
-
Bọc bạt kín như bưng, hai ô tô ở Thái Nguyên vẫn "mất tích" trong mưa ngập
-
Đêm trắng giữ đê ở Bắc Ninh, hàng nghìn người căng mình gia cố chống lũ
-
Cảnh sát, quân đội vào vùng ngập lụt lịch sử: "Không sao, có chú đây rồi"
-
Cảnh báo: Ngày càng nhiều nhân viên văn phòng trốn làm đi chơi pickleball!
-
Taylor Swift bị ruồng bỏ vẫn làm nên lịch sử, cả loạt siêu sao "ra chuồng gà"
-
Trực thăng Không quân cứu trợ 5 em bé mắc kẹt trên nóc nhà ở Lạng Sơn
Xã hội
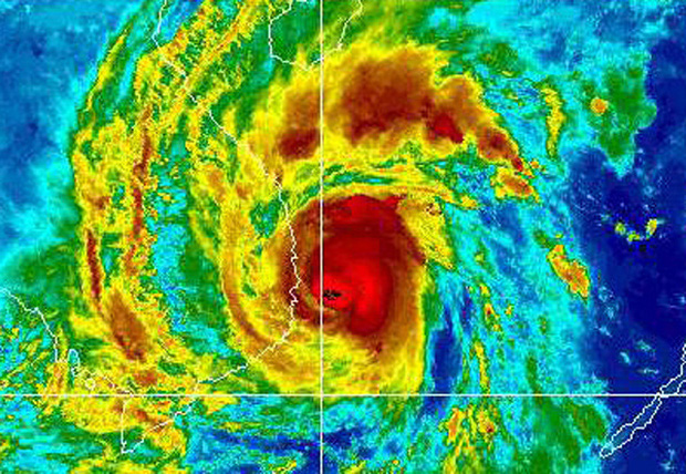
28/10/2020 00:31Nhìn lại những cơn bão với sức tàn phá kinh hoàng, được so sánh mạnh tương đương bão số 9 năm nay tại Việt Nam
Cơn bão số 9 (tên quốc tế là Molave) sắp đổ bộ vào các tỉnh miền Trung và được đánh giá có thể là cơn bão mạnh nhất trong vòng 20 năm trở lại đây. Theo Trung tâm dự báo thời tiết VTV, bão số 9 có cường độ cấp 12-13, giật cấp 15 hết sức nguy hiểm.
Bão số 9 được so sánh có cường độ mạnh tương đương một số cơn bão kinh hoàng trong lịch sử từng đổ bộ trực tiếp vào Việt Nam như bão Xangsane năm 2006, bão Lekima năm 2007 hay bão Damrey năm 2017. Hãy cùng điểm lại diễn biến cũng như hậu quả nghiêm trọng mà những cơn bão này để lại tại Việt Nam:
Bão Xangsane năm 2006
Bão Xangsane là cơn bão số 6 của năm 2006, đổ bộ vào bờ biển các tỉnh từ Đà Nẵng đến Quảng Ngãi vào ngày 1/10/2006.
Bão Xangsane được coi là cơn bão mạnh nhất đổ bộ vào Việt Nam trong khoảng 20 năm qua (tính đến năm 2016). Bão làm 68 người chết và mất tích, gần 270.000 ngôi nhà bị hỏng nặng, 1.287 hec-ta đất nông nghiệp hư hại, 65.000 gia cầm bị chết và hơn 700 thuyền đánh cá bị chìm.








Bão Lekima năm 2007
Bão Lekima là cơn bão số 5 của năm 2007, đổ bộ vào địa phận giáp ranh giữa hai tỉnh Quảng Bình và Hà Tĩnh vào ngày 3/10/2007.
Bão Lekima làm ít nhất 37 người thiệt mạng cùng 24 người mất tích.



Bão Sơn Tinh năm 2012
Bão Sơn Tinh là cơn bão số 8 của năm 2012. Bão Sơn Tinh có đường đi lắt léo, được đánh giá là cơn bão có tốc độ nhanh nhất trong vòng 10 năm qua (tính đến năm 2012).
Ngày 26/10/2012, cơ quan khí tượng cảnh báo bão Sơn Tinh sẽ đổ bộ vào khu vực miền Trung (từ Quảng Bình tới Quảng Trị).
Tuy nhiên, đến ngày 27/10/2012, khu vực đổ bộ của bão vẫn chưa thể xác định, đường đi thay đổi, cường độ bão tăng, có lúc đạt cấp 14 – cấp siêu bão.

Ngày 28/10/2012, bão quần thảo trên khu vực cách ven biển các tỉnh Ninh Bình - Nam Định - Thái Bình dưới 100 km. Bão mạnh cấp 11-12, giật cấp 14 hoành hành suốt nhiều giờ mưa lớn suốt đêm.
Đến ngày 29/10/2012, bão di chuyển vòng lên phía bắc, tan ở ven biển Hải Phòng - Quảng Ninh.
Về thiệt hại, bão Sơn Tinh đã làm 8 người đã chết, 3 người còn mất tích và gần 100 người bị thương. Thống kê thiệt hại do bão hơn 7.500 tỷ đồng, các tỉnh thiệt hại nặng nề chủ yếu là Thái Bình, Nam Định, Hải Phòng,…






Bão Marinae năm 2016
Bão Marinae là cơn bão số 1 của năm 2016. Đêm 27/7/2016, bão Marinae đổ bộ đất liền các tỉnh từ Thái Bình đến Ninh Bình sau đó suy yếu thành áp thấp nhiệt đới gây gió mạnh cấp 6, giật cấp 7-9 ở các tỉnh đồng bằng Bắc Bộ.
Về thiệt hại, bão Marinae đã làm thiệt mạng 1 người (Phú Xuyên, Hà Nội), mất tích 1 người (Thanh Hóa), và 8 người bị thương. Bão cũng làm 12 tàu bị chìm (7 tàu ở Nam Định, Hải Phòng 3 tàu và Thanh Hóa 2 tàu). Ngoài ra, 1.426 nhà bị sập, tốc mái, hư hỏng, chủ yếu ở Hà Nội và Hà Nam sau bão.
Sản xuất nông nghiệp bị thiệt hại nặng với 196.200 ha diện tích lúa bị ngập úng, 20.794 ha diện tích màu…
Một thiệt hại nặng nề nữa là cây xanh ở khu vực các vùng đô thị như Hà Nội, Nam Định. Đáng chú ý, thủ đô Hà Nội có gần 5.500 cây xanh bị gãy, đổ. Nhiều tuyến phố của Hà Nội cây xanh bị gãy đổ hoàn toàn, trong đó rất nhiều cây cổ thụ.







Bão Doksuri năm 2017
Bão Doksuri là cơn bão số 10 của năm 2017. Ngày 15/9/2017, bão đổ bộ vào các tỉnh miền Trung (từ Hà Tĩnh đến Quảng Bình).
Bão Doksuri đã khiến 6 người thiệt mạng và 21 người bị thương; khoảng 24 nghìn ngôi nhà bị tốc mái, hư hỏng, hơn 54 nghìn nhà bị ngập và hàng chục hecta hoa màu bị ngập úng; nhiều trường học, công trình công cộng bị hư hỏng nặng.




Bão Damrey năm 2017
Bão Damrey là cơn bão số 12 của năm 2017, đổ bộ vào đất liền các tỉnh Nam Trung Bộ, quét qua một phần các tỉnh Tây Nguyên vào ngày 4/11/2017.
Từ lúc 2h sáng ngày 4/11/2017, bão Damrey mạnh cấp 8-9, đổ bộ vào các tỉnh Khánh Hòa, Phú Yên, Bình Định. Sức gió mạnh nhất của cơn bão trên đất liền đạt cấp 13, là cơn bão mạnh nhất trong vòng 30 năm (tính đến năm 2017) tại tỉnh Khánh Hòa.
Bão Damrey đã khiến 44 người chết, 229 người bị thương. Về vật chất, hơn 2.000 căn nhà bị phá hủy; hơn 70.000 lồng bè bị mất trắng; 300 trường học bị sụp đổ, hư hỏng; tổng thiệt hại ước tính hơn 22.000 tỷ đồng.







Theo Tùng (Pháp Luật & Bạn Đọc)








- Người phụ nữ thuê trọ 15 năm, thấy chủ nhà được đền bù giải tỏa 9,6 tỷ đồng lập tức đòi chia phần: “Tôi xứng đáng được một nửa” (46 phút trước)
- Cửa hàng điện tử ở Hà Nội cháy dữ dội (47 phút trước)
- Người đàn ông ở TP HCM bị cướp giật dây chuyền vàng trị giá 100 triệu đồng (54 phút trước)
- Suýt ngất khi biết đây là phòng của một nữ sinh 2k1! (55 phút trước)
- "Ông hoàng nhạc sến" Vbiz: Bỏ 1 triệu đô mua bảo hiểm trinh tiết, đúc tượng chính mình từ 1.000 cây vàng (56 phút trước)
- Toàn cảnh lễ đón Tổng Bí thư Tô Lâm thăm cấp Nhà nước CHDCND Triều Tiên (1 giờ trước)
- VIDEO: Người dân chen chúc xếp hàng mua vàng khi giá vượt 142 triệu đồng/lượng (1 giờ trước)
- Ông bố trẻ khóc nức nở vì con trai học tiểu học, nhưng vợ ngồi cạnh lại cười khúc khích: Chuyện gì đây? (1 giờ trước)
- "Cậu bé đẹp nhất thế giới" William Franklyn-Miller giờ ra sao? (1 giờ trước)
- Bộ GD-ĐT yêu cầu xử lý vụ thầy giáo bóp cổ đồng nghiệp ngay trong trường (1 giờ trước)




