-
Công bố kết quả kiểm nghiệm hiện tượng nước giếng khoan chuyển sang màu tím đỏ bất thường ở Thanh Hóa -
Đề xuất đóng đoạn cao tốc Hà Nội - Thái Nguyên để xây đường kết nối sân bay Gia Bình -
Bác sĩ viết đơn thuốc "loằng ngoằng giun dế" có thể bị phạt nặng -
Hoàn cảnh éo le, không nơi nương tựa của bé trai 2 tuổi bị mẹ ruột và người tình bạo hành ở TP.HCM -
Bí thư Thành ủy Trần Đức Thắng: Hà Nội sẽ xây công viên, khu sinh thái dọc sông Hồng, sông Đuống -
Không khí lạnh tràn về, miền Bắc mưa dông diện rộng từ đêm mai 7/5 -
Tiến sĩ Việt nhận giải thưởng khoa học danh giá của Mỹ: Là con trai của nguyên Chủ tịch Hội đồng chức danh Giáo sư Nhà nước -
Nữ thủ khoa giành học bổng tiến sĩ ở Hàn Quốc khi chưa tốt nghiệp đại học -
Thảm kịch máy bay lao vào chung cư tại Brazil, con trai Thị trưởng tử nạn -
Xót xa bé gái sơ sinh bị bỏ rơi cùng lời nhắn "con là sinh viên, tự sinh tại phòng trọ"
Xã hội
14/04/2026 09:43Siêu bão Sinlaku mạnh nhất hành tinh, phá vỡ mọi giới hạn dự báo, có ảnh hưởng đến Việt Nam?
Nhiều yếu tố khiến siêu bão Sinlaku trở nên đáng lo ngại
Ngày 13/4, siêu bão Sinlaku trở thành tâm điểm theo dõi của giới khí tượng khi nhanh chóng đạt cường độ cực đại và đe dọa khu vực Tây Thái Bình Dương, trong đó có đảo Guam và Bắc Mariana (thuộc quần đảo Mariana của Mỹ).
Theo nhận định của các chuyên gia, đây là cơn bão “đặc biệt nguy hiểm” bởi sự kết hợp của nhiều yếu tố: tốc độ tăng cấp bất thường, vùng ảnh hưởng rộng và các rủi ro thiên tai không chỉ dừng lại ở sức gió.
Sinlaku hình thành từ một vùng nhiễu động tại khu vực Micronesia, sau đó phát triển rất nhanh thành bão nhiệt đới rồi bão cuồng phong chỉ trong thời gian ngắn. Điều khiến giới khoa học lo ngại không chỉ là cường độ mạnh, mà còn là quá trình mạnh lên quá nhanh – hiện tượng ngày càng xuất hiện nhiều nhưng vẫn khó dự báo chính xác.

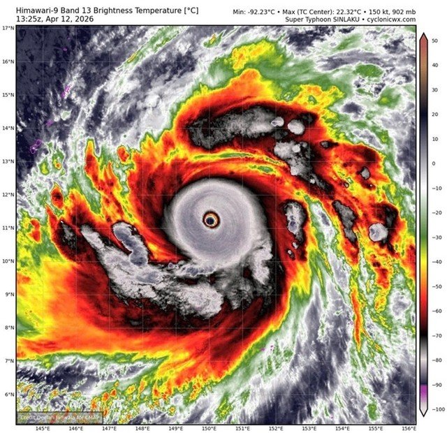
Theo Trung tâm Cảnh báo Bão Liên hợp (JTWC), bão đã đạt ngưỡng siêu bão với sức gió duy trì khoảng 290 km/h, gió giật có thể vượt 320 km/h. Nếu so sánh theo thang đo Đại Tây Dương, cơn bão này tương đương cấp 4, thậm chí tiệm cận cấp 5 – mức có thể gây thiệt hại nghiêm trọng cho hạ tầng và đời sống.
Không chỉ mạnh về cường độ, Sinlaku còn có cấu trúc hoàn chỉnh với tâm bão rõ nét, vùng đối lưu mạnh và hệ thống mây dày đặc. Đây là dấu hiệu của một cơn bão ổn định, khó suy yếu trong thời gian ngắn và có khả năng duy trì sức mạnh lâu dài, từ đó gia tăng mức độ tàn phá.
Phạm vi ảnh hưởng của bão cũng rất rộng. Gió cấp bão có thể lan ra bán kính khoảng 100 km từ tâm, trong khi gió cấp nhiệt đới mở rộng tới 300–400 km. Vì vậy, ngay cả những khu vực không nằm trực tiếp trên đường đi như Guam vẫn có thể chịu ảnh hưởng kéo dài với mưa lớn và gió mạnh.
Đáng chú ý, việc siêu bão xuất hiện ngay trong tháng 4, ngoài mùa bão chính (thường từ tháng 6 đến tháng 11) được xem là dấu hiệu bất thường. Những cơn bão trái mùa thường khó dự báo hơn do điều kiện khí quyển không ổn định, gây khó khăn cho công tác ứng phó.
Dù dự báo tâm bão có thể lệch lên phía Bắc, hướng về Saipan và Tinian thay vì đổ bộ trực tiếp vào Guam, các chuyên gia vẫn cảnh báo bán kính ảnh hưởng lớn của Sinlaku có thể kéo theo mưa lớn, sóng cao, nước dâng và thời gian tác động kéo dài.
Bão Sinlaku có ảnh hưởng đến Việt Nam?
Theo Trung tâm Dự báo Khí tượng Thủy văn Quốc gia, dữ liệu vệ tinh cho thấy Sinlaku đang tiếp tục mạnh lên nhanh, với mắt bão rõ ràng và hoàn lưu đối xứng.
Các điều kiện môi trường trên biển hiện rất thuận lợi cho sự phát triển của bão, như nhiệt độ mặt nước cao, nguồn nhiệt dồi dào từ đại dương và độ đứt gió yếu ở tầng cao.
Dự báo, sau khi di chuyển theo hướng Tây Bắc, bão sẽ dần chuyển hướng lên phía Bắc, sau đó có khả năng lệch sang Đông Bắc và tiến về vùng biển phía đông Nhật Bản trước khi suy yếu.

Sinlaku là cơn bão đầu tiên trong năm 2026 đạt cấp siêu bão, đồng thời là cơn mạnh nhất tính đến thời điểm hiện tại. Đây cũng là lần thứ ba kể từ năm 1977 xuất hiện siêu bão trong tháng 4, sau trường hợp Surigae năm 2021.
Với sức gió vượt 200 km/h, Sinlaku được đánh giá có khả năng gây sóng lớn, biển động dữ dội, đe dọa hoạt động của tàu thuyền trên biển.
Về ảnh hưởng đến Việt Nam, cơ quan khí tượng cho biết từ tháng 4 đến tháng 6, số lượng bão hoặc áp thấp nhiệt đới trên Biển Đông có thể ở mức trung bình nhiều năm (khoảng 1,8 cơn), trong đó số cơn ảnh hưởng trực tiếp đất liền khoảng 0,3 cơn.
Trong giai đoạn từ tháng 7 đến tháng 9, dự báo có khoảng 6,5 cơn hoạt động trên Biển Đông và gần 3 cơn có khả năng đổ bộ đất liền.
Ngoài ra, các đợt mưa vừa đến mưa to có thể xuất hiện tại nhiều khu vực như Bắc Bộ, Bắc Trung Bộ, Tây Nguyên và Nam Bộ. Nguy cơ xảy ra các hiện tượng thời tiết cực đoan như dông, lốc, sét, mưa đá và gió giật mạnh cũng có xu hướng gia tăng trong thời gian tới.
- U17 Việt Nam ra quân cùng giấc mơ World Cup: Khi sức trẻ không cần đến những toan tính (33 phút trước)
- RCS là gì? Cách kích hoạt trên iPhone và Android để nhắn tin như iMessage hoàn toàn miễn phí (35 phút trước)
- Nam sinh 7 lần thi tốt nghiệp THPT dù đã là sinh viên Trường Đại học Sư phạm Hà Nội, lý do không ai ngờ đến (46 phút trước)
- Cuộc đua tăng giá cước và phí nền tảng của các "ông lớn" gọi xe công nghệ (1 giờ trước)
- Ái nữ tỷ phú giàu nhất châu Á gây choáng ngợp tại Met Gala với trang phục mất 1.200 giờ công chế tác (1 giờ trước)
- VN-Index bứt tốc, áp sát đỉnh lịch sử hơn 1,200 điểm (1 giờ trước)
- Làn sóng sa thải công nghệ: Hé lộ nhóm nhân sự dễ "bay màu" nhất (1 giờ trước)
- Công bố kết quả kiểm nghiệm hiện tượng nước giếng khoan chuyển sang màu tím đỏ bất thường ở Thanh Hóa (2 giờ trước)
- Iran thông báo khẩn về quy định mới cho tàu chở dầu qua eo biển Hormuz để tránh đối mặt nguy hiểm (2 giờ trước)
- Nhà thiết kế lên tiếng làm rõ vụ ồn ào "trộm đồ" của Jisoo (BLACKPINK) (2 giờ trước)