Vì sao 7 cầu thủ ngoại mạo hiểm nhập tịch...
Vì phong bì phúng viếng, chàng trai bị bạn gái...
Bayern Munich "cướp" tuyển thủ Anh trước mũi Liverpool
Lũ đặc biệt lớn, Thái Nguyên đối mặt đỉnh lũ...
Kẻ đứng sau hàng loạt buổi livestream xuyên tạc, gây...
Vén màn cơ cấu quyền lực của gia tộc họ...
Phim Việt giờ vàng thay toàn bộ diễn viên
Hiệu trưởng lên tiếng về những tin nhắn giáo viên...
7 người chết và mất tích do bão Matmo, lũ...
Ngôi nhà 2 tầng ở Hà Nội bốc cháy giữa...
Vì sao 7 cầu thủ ngoại mạo hiểm nhập tịch...
Vì phong bì phúng viếng, chàng trai bị bạn gái...
Bayern Munich "cướp" tuyển thủ Anh trước mũi Liverpool
Lũ đặc biệt lớn, Thái Nguyên đối mặt đỉnh lũ...
Kẻ đứng sau hàng loạt buổi livestream xuyên tạc, gây...
Vén màn cơ cấu quyền lực của gia tộc họ...
Phim Việt giờ vàng thay toàn bộ diễn viên
Hiệu trưởng lên tiếng về những tin nhắn giáo viên...
7 người chết và mất tích do bão Matmo, lũ...
Ngôi nhà 2 tầng ở Hà Nội bốc cháy giữa...
Tin mới
Lũ quét
Trang 1
7 người chết do sạt lở đất, Lào Cai công bố thiên tai khẩn cấp
Mưa lớn gây sạt lở đất tại xã vùng cao A Lù, huyện Bát Xát, tỉnh Lào Cai vào rạng sáng nay (9/9) đã làm 7 người chết. Các lực lượng đang rất khó khăn tiếp cận khu vực sạt lở do trời mưa to, đất đá sạt lở lớn.
09/09/2024 16:58:42

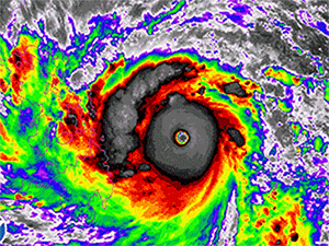
Thái Bình Dương có 3 cơn bão cùng lúc, trong đó 1 trận cuồng phong rất mạnh sắp tấn công quốc gia châu Á
Ba cơn bão được đặt tên đang xoáy qua Bắc Thái Bình Dương, trong đó có 1 cơn dự kiến sẽ gây tác động nghiêm trọng khi đổ bộ, Washington Post (Mỹ) thông tin cách đây vài giờ.
27/08/2024 20:39:34

La Nina sắp bắt đầu, mưa lũ dồn dập và khắc nghiệt
Khoảng từ nửa cuối tháng 8, hiện tượng La Nina bắt đầu tác động, mưa trong tháng 9 ở Bắc Bộ có thể cao hơn trung bình nhiều năm. Đặc biệt, miền Trung nguy cơ mưa lũ dồn dập những tháng cuối năm.
03/08/2024 21:53:04

Hồi hộp theo dõi hai người đi đường mắc kẹt trong ôtô được cứu khỏi dòng nước lũ chảy siết
Lực lượng chức năng đã giải cứu thành công một cặp đôi bị kẹt trong chiếc ô tô bị cơn lũ quét nhấn chìm ở Trung Quốc.
27/07/2024 21:23:37

Thắt lòng lời kể tuyệt vọng của người chồng chứng kiến vợ con bị nước lũ cuốn trôi
Khi đang ra ngoài hút thuốc lào, bất ngờ những tiếng ầm ầm trên đồi đổ sập xuống, ông Luyến quặn lòng gào thét gọi vợ cùng cậu con trai nhưng không còn nghe thấy tiếng nữa.
26/07/2024 00:42:26

Ám ảnh đêm chạy lũ lớn nhất trong 30 năm ở TP Sơn La
Mưa lớn kéo dài, nước lũ cuồn cuộn đổ về giữa đêm đã nhấn chìm nhiều tuyến đường và khu vực dân cư ở TP Sơn La (tỉnh Sơn La).
25/07/2024 00:43:30

Tận mắt chứng kiến sức công phá của trận lũ quét khi cuốn trôi nhà cửa, phương tiện chỉ trong vài giây
Trận lũ quét kinh hoàng đã nhấn chìm hoàn toàn một ngôi làng ở miền Bắc Trung Quốc và cuốn theo nhiều nhà cửa và xe cộ trên đường đi.
13/07/2024 21:21:33

Thót tim khoảnh khắc giải cứu nam công nhân mắc kẹt giữa dòng nước lũ
Chứng kiến cảnh người đàn ông ở tỉnh Quảng Nam chơi vơi giữa dòng nước lũ, nhiều người không khỏi thót tim.
04/07/2024 17:39:31

Cận cảnh đường xá sạt lở nghiêm trọng ở Hà Giang sau lũ lớn
Trải qua nhiều ngày mưa lớn, một số tuyến đường trên địa bàn tỉnh Hà Giang đã bị sạt lở nghiêm trọng. Đất đá cùng những dòng nước chảy mạnh sau những trận lũ đã khiến nhiều phương tiện cũng như người dân bị mắc kẹt, đứng chôn chân tại chỗ.
10/06/2024 16:26:20

Người dân hoảng loạn bỏ chạy trong trận lũ quét ở Ấn Độ
Theo các nhân chứng có mặt cho biết, một bé trai 17 tuổi khi đang bơi tại khu du lịch nổi tiếng hôm đó đã không kịp bỏ chạy nên bị dòng nước lũ cuốn trôi tử vong.
20/05/2024 15:19:38

Lũ quét, núi lửa phun trào khiến 34 người chết ở Indonesia
Ít nhất 34 người thiệt mạng, bao gồm trẻ em, và 16 người khác bị thương sau khi lũ quét và núi lửa phun trào dung nham lạnh xảy ra ở Indonesia, giới chức cứu hộ thông tin.
13/05/2024 16:33:00

Thời tiết Việt Nam khi El Nino chuyển sang trạng thái trung tính: Cảnh báo nhiều hiện tượng dị thường
Chuyên gia cảnh báo mùa hè này sẽ diễn ra nắng nóng đỉnh điểm.
10/04/2024 03:28:32

Cố chạy qua cầu tràn, xế sang Mercedes bị lũ cuốn trôi
Rất may mắn những người trong xe đã kịp thoát ra ngoài nên không có thiệt hại về người sau vụ việc.
20/12/2023 17:02:49

Nguyên nhân nào khiến bức tường ngăn nước của thủy điện ở Gia Lai bị vỡ?
Theo chính quyền địa phương, lũ quét đột ngột khiến một phần tường ngăn nước đang thi công của dự án thủy điện Ia Glae 2 bị vỡ.
11/10/2023 22:26:30

Hồi hộp chứng kiến người đàn ông vật lộn trong dòng nước lũ sau khi bơi gần đập tràn
Một khách du lịch đã bị nước lũ cuốn trôi sau khi người này bơi ở gần khu vực đập tràn ở thị trấn Bansalan, tỉnh Davao, Philippines.
10/10/2023 22:02:09

Ấn Độ: Ít nhất 44 người chết và gần 4.000 hộ gia đình phải sơ tán do lũ quét
Lũ quét nghiêm trọng xảy ra giữa tuần qua ở khu vực dãy Himalaya của Ấn Độ đã khiến ít nhất 44 người thiệt mạng, gây ảnh hưởng tới hơn 22.000 hộ gia đình, trong đó gần 4.000 hộ phải sơ tán đến các trại cứu trợ.
08/10/2023 14:43:56

Lũ quét cuốn trôi 23 binh lính Ấn Độ
Quân đội Ấn Độ hôm 04/10 thông báo 23 binh sĩ mất tích sau lũ quét tại một thung lũng ở bang Sikkim.
04/10/2023 22:40:16

Khoảnh khắc kinh hoàng: 11 du khách bị lũ cuốn trôi khi chụp ảnh ở đập nước nổi tiếng Trung Quốc
Nước lũ bất ngờ tràn về làm mực nước sông ở tỉnh Tứ Xuyên, Trung Quốc, dâng cao và cuốn trôi 11 du khách đang mải chụp hình trên con đập.
13/08/2023 18:29:09

Nhân chứng trận lũ kinh hoàng ở xã Hồ Bốn: Mọi thứ chỉ tính bằng giây
Trận mưa lớn xảy ra vào chiều tối 5/8 dẫn đến lũ ống, sạt lở đất đã gây nhiều thiệt hại về người và tài sản tại một số khu vực thuộc tỉnh Yên Bái, trong đó có xã Hồ Bốn.
08/08/2023 15:40:07

Nguyên nhân vụ lũ quét bất thường ở Sóc Sơn - Hà Nội
UBND huyện Sóc Sơn nêu nguyên nhân sự cố do vị trí trũng kết hợp với dòng chảy trên núi mang theo đất đá tập trung chảy qua đoạn đường này.
05/08/2023 05:03:23
Bài đọc nhiều

Công an đưa hàng chục thùng carton đi khỏi toà nhà có trụ sở công ty của Shark Bình

Con đường làm giàu của Shark Bình

Công an Hà Nội nói gì về việc cảnh sát xuất hiện ở nơi được cho đặt trụ sở công ty của Shark Bình?

Cảnh tượng chán chường tại khu đô thị hạng sang ở Hà Nội

Hà Nội tiếp tục mưa lớn, lũ sông lên nhanh