-
Thị trưởng Mỹ sa thải toàn bộ cảnh sát vì mâu thuẫn liên quan đến vợ -
Danh tính người đàn ông cạo xóa số đường dây nóng trên cao tốc Bắc-Nam, hé lộ nguồn cơn sự việc -
Thắp hương buổi sáng hay tối tốt hơn? Bí mật đằng sau những khung giờ thờ cúng -
HLV Kim Sang-sik nói gì khi tuyển Việt Nam chạm trán Hàn Quốc, UAE ở Asian Cup? -
Nữ sinh lớp 7 bị nhóm bạn vây đánh liên tiếp vào đầu: Tình hình sức khỏe hiện tại gây chú ý -
Bi Rain lên tiếng về nghi vấn "biến căng" hôn nhân khi không còn đeo nhẫn cưới -
Tố trà sữa Chagee chứa thủy ngân, cô gái bàng hoàng phát hiện "kịch bản" kinh hoàng của bạn trai -
Vài chục triệu đồng "hô biến" tội phạm thành bệnh nhân tâm thần -
Chi 17,6 triệu đồng cho dịch vụ cưới, cô dâu ngậm ngùi mang "mặt nạ bể nền" lên sân khấu -
Tử vi 12 con giáp - Chủ nhật ngày 10/5/2026: Tị thoải mái, Ngọ hay ghen
Thế giới
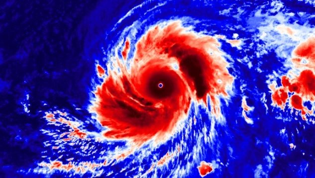
14/04/2026 13:40Công bố hình ảnh vệ tinh siêu bão Sinlaku lớn nhất năm 2026: Cơ quan khí tượng lập tức cảnh báo nóng
Siêu bão Sinlaku đang tiến thẳng về các hòn đảo ở Thái Bình Dương với cường độ cực đại, khiến giới khí tượng toàn cầu đặc biệt lo ngại khi sức gió duy trì lên tới khoảng 290 km/h và gió giật có thể đạt tới 354 km/h.
Hình ảnh vệ tinh do NASA và các cơ quan khí tượng Nhật Bản công bố cho thấy vào thứ Hai (ngày 13/4/2026), siêu bão Sinlaku đang hoành hành dữ dội ở phía tây Thái Bình Dương với cấu trúc hoàn chỉnh, “mắt bão” rõ nét – dấu hiệu của một hệ thống cực kỳ mạnh. Theo Cơ quan Khí tượng Quốc gia Mỹ, vào chiều cùng ngày, tâm bão nằm cách đảo Guam khoảng 426 km về phía đông nam và đang di chuyển theo hướng tây bắc.

Các nhà dự báo nhận định Sinlaku nhiều khả năng sẽ đi qua gần Saipan và Tinian với sức mạnh của một cơn bão cấp 4 rất mạnh hoặc thậm chí cấp 5. Đây là kịch bản đặc biệt nguy hiểm bởi thành mắt bão – khu vực có sức gió khủng khiếp nhất – có thể quét trực tiếp qua các đảo này.
Các nhà chức trách đã phát đi cảnh báo về mưa lớn, lũ quét và gió ngày càng mạnh có thể gây thiệt hại nghiêm trọng trên diện rộng tại Guam và quần đảo Bắc Mariana, đồng thời kêu gọi người dân nhanh chóng hoàn tất công tác chuẩn bị và trú ẩn tại chỗ. Đối với người dân Guam, thời điểm hiện tại được ví như “sự yên ắng trước cơn bão” khi điều kiện thời tiết tạm thời ổn định trước khi siêu bão đổ bộ.

Đáng chú ý, Sinlaku đã tăng cường nhanh chóng trong vòng 24 giờ qua, vượt xa các dự báo ban đầu và trở thành cơn bão mạnh nhất trên Trái Đất tính đến thời điểm này trong năm 2026. Ảnh vệ tinh vào sáng sớm thứ Hai theo giờ địa phương cho thấy đây là một hệ thống cực kỳ lớn, hình thành sau quá trình tăng cường dữ dội vào cuối tuần.
Hiện tại, siêu bão cấp 5 này có sức gió duy trì lên tới 155 knot (khoảng 287 km/h), với áp suất trung tâm giảm sâu xuống 896 mbar – mức cực kỳ thấp đối với một cơn bão nhiệt đới ở Thái Bình Dương, nơi áp suất trung bình thường trên 1.000 mbar. Trong khí tượng, áp suất càng thấp thì cường độ bão càng mạnh.
Phân tích vệ tinh tự động theo phương pháp Dvorak tiên tiến cho thấy Sinlaku thậm chí có thể còn mạnh hơn so với ước tính chính thức, với sức gió lên tới 304 km/h và áp suất trung tâm khoảng 888 mbar. Dựa trên hoạt động sét ghi nhận trong “mắt bão”, các chuyên gia nhận định cơn bão vẫn đang tiếp tục mạnh lên nhanh chóng.
Trong khi đảo Guam vẫn đang theo dõi chặt chẽ mức độ ảnh hưởng, dữ liệu theo dõi mới nhất cho thấy vùng có khả năng chịu tác động nghiêm trọng nhất đã dịch chuyển về phía quần đảo Bắc Mariana. Áp suất trung tâm của bão giảm mạnh xuống 896 mbar, nhờ nguồn năng lượng khổng lồ mà Sinlaku hấp thụ từ vùng nước biển ấm bất thường trong tháng 4 – yếu tố chính thúc đẩy quá trình tăng cường nhanh.

Các nhà khí tượng cảnh báo về một cú đánh trực diện cực kỳ nguy hiểm, với thành mắt bão được dự báo sẽ quét qua các đảo Saipan và Tinian với sức mạnh của bão cấp 4 rất mạnh hoặc thậm chí cấp 5. Dù ở kịch bản nào, hậu quả cũng có thể rất thảm khốc đối với cơ sở hạ tầng và đời sống người dân.
Trong lịch sử, quần đảo Mariana từng nhiều lần hứng chịu các siêu bão dữ dội. Năm 1962, siêu bão Karen với sức gió duy trì tối đa 298 km/h đã phá hủy tới 95% nhà cửa tại Guam và được xem là “cơn bão chuẩn mực”, từ đó dẫn đến việc áp dụng các quy chuẩn xây dựng bê tông kiên cố hiện nay trên đảo.
Đến năm 1997, bão Paka ghi nhận gió giật lên tới 380 km/h tại căn cứ không quân Andersen (dù sau đó bị tranh cãi do thiết bị đo hỏng), khiến toàn đảo mất điện trong nhiều tuần. Các nhà khí tượng sau này ước tính sức gió duy trì thực tế của Paka vào khoảng 115–125 knot (tương đương 212–232 km/h).
Cơn bão lớn tiếp theo là Pongsona vào năm 2002, với sức gió lên tới 278 km/h, gây ra vụ cháy lớn tại các bể nhiên liệu ở cảng và gây thiệt hại hơn 700 triệu USD. Đây cũng là lần cuối cùng khu vực này hứng chịu ảnh hưởng lớn trước khi bước vào giai đoạn tương đối “yên ắng” kéo dài hơn 20 năm.
Hiện nay, hệ thống cảnh báo sẵn sàng ứng phó bão nhiệt đới (TCCR) của Guam được đánh giá là một trong những hệ thống tiên tiến nhất thế giới. Tuy nhiên, với cường độ cực đại và xu hướng tiếp tục mạnh lên, siêu bão Sinlaku được cảnh báo có thể trở thành một trong những cơn bão nguy hiểm nhất trong nhiều năm trở lại đây, đe dọa trực tiếp đến khu vực Tây Thái Bình Dương trong những ngày tới.
- Đình Bắc ghi bàn trận thứ 6 liên tiếp, CAHN đánh bại CLB Nam Định ngoạn mục (22:00)
- PV Hàn Quốc: Trận đấu với ĐT Việt Nam sẽ là đỉnh cao Asian Cup (1 giờ trước)
- Doanh nghiệp, cá nhân bị cấm sử dụng phần mềm, nội dung lậu (1 giờ trước)
- Toyota Camry và Honda Accord "toát mồ hôi" với sedan điện cỡ D mới: Mạnh 204 mã lực, chỉ 583 triệu (1 giờ trước)
- Gia tộc cải lương hiếm có: 4 chị em ruột đều nổi tiếng, một người là Nghệ sĩ Nhân dân (2 giờ trước)
- Nghi án sát hại người tình rồi tự tử, phát hiện thư tuyệt mệnh trong phòng ngủ, hé lộ nguyên nhân (2 giờ trước)
- Chồng thiếu gia của diễn viên Mild Lapassalan bị em trai tố xâm hại tình dục: Góc khuất kinh hoàng của gia tộc tập đoàn Singha (2 giờ trước)
- Quảng Trị: Xác minh nhóm học sinh từ 3 trường liên quan vụ hành hung nữ sinh lớp 7 (3 giờ trước)
- Làm rõ vụ shipper bị hành hung chảy máu miệng vì từ chối tỉa lông chó cho khách (3 giờ trước)
- Mercedes-Benz triệu hồi hơn 144.000 xe: Bảng đồng hồ kỹ thuật số có thể "tắt ngúm" khi vận hành (4 giờ trước)